Ommerkanaal Oost 7731 Ommen
- Nieuw
Verkoop bij inschrijving
Omschrijving
DE VERKOOP IS BIJ INSCHRIJVING
Uiterlijke biedingsdatum is woensdag 6 mei om 12:00 uur.
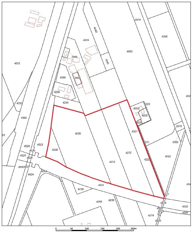
Enkele percelen landbouwgrond, groot ca. 7.1 Ha
welke gelegen zijn aan Ommerkanaal Oost te Ommen
(achter huisperceel nr. 16)
Uitmeting door kadaster zal nog plaatsvinden.
Verkoop is in één geheel. Er is rechtstreeks uitweg naar de openbare weg.
Grondsoort is: Veldpodzolgronden; leemarm en zwak lemig fijn zand.
Inschrijvingsformulieren en informatie via
of neem telefonisch contact op via 0522- 462844.
Uiterlijke biedingsdatum is woensdag 6 mei om 12:00 uur.
Enkele percelen landbouwgrond, groot ca. 7.1 Ha
welke gelegen zijn aan Ommerkanaal Oost te Ommen
(achter huisperceel nr. 16)
Uitmeting door kadaster zal nog plaatsvinden.
Verkoop is in één geheel. Er is rechtstreeks uitweg naar de openbare weg.
Grondsoort is: Veldpodzolgronden; leemarm en zwak lemig fijn zand.
Inschrijvingsformulieren en informatie via
of neem telefonisch contact op via 0522- 462844.
Kenmerken
Overdracht
- Vraagprijs
- Verkoop bij inschrijving
- Aangeboden sinds
-
- Status
- Beschikbaar
- Aanvaarding
- In overleg
Bouw
- Hoofdfunctie
- Losse grond
Oppervlakten
- Type land
- Bouwland
- Grondsoort
- Zand
Kadastrale gegevens
-
STAD-OMMEN A 4235
- Kadastrale kaart
- Eigendomssituatie
- 2 ha 55 a 72 ca (geheel perceel)
-
STAD-OMMEN A 4338
- Eigendomssituatie
- 0 ha 34 a 30 ca (geheel perceel)
-
STAD-OMMEN A 4272
- Eigendomssituatie
- 1 ha 35 a 0 ca (deelperceel)
-
STAD-OMMEN A 4275
- Eigendomssituatie
- 1 ha 74 a 75 ca (geheel perceel)
-
STAD-OMMEN A 4317
- Eigendomssituatie
- 1 ha 10 a 0 ca (deelperceel)
Foto's