Sales history
- Listed since
- June 13, 2025
Description
Namens onze opdrachtgever mogen wij u aanbieden een PERCEEL CULTUURGROND.
De grond wordt aangeboden middels een (besloten) vrijwillige verkoop bij inschrijving. De voorwaarden en condities die voor deze inschrijving gelden leest u terug in deze brochure.
Het biedingsformulier, welke te verkrijgen is via ons kantoor, is in te leveren t/m dinsdag 22 juli 2025 tot 17.00 uur bij Midden Nederland Makelaars Barneveld, Kampstraat 32 te Barneveld of per e-mail: (met ontvangstbevestiging versturen).
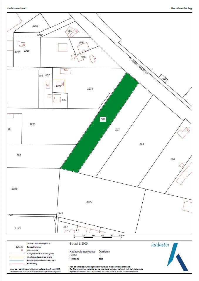
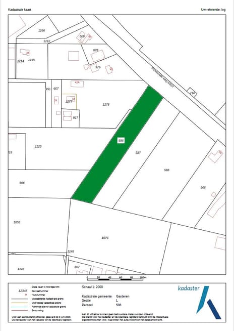
Kadastrale informatie:
Kadastraal bekend bij de gemeente Garderen, sectie L, nummer 586, groot ca. 8.240 m²
Bestemming:
De geldende bestemming voor dit perceel is agrarisch zonder bebouwingsmogelijkheden.
Bijzonderheden:
- Slootschouwing is niet van toepassing.
- De jacht is niet verpacht.
- Er is een ontsluiting op de Harskamperweg.
- Gewenste oplevering en overdracht is 1 oktober 2025.
Overige informatie is via ons kantoor op te vragen.
De grond wordt aangeboden middels een (besloten) vrijwillige verkoop bij inschrijving. De voorwaarden en condities die voor deze inschrijving gelden leest u terug in deze brochure.
Het biedingsformulier, welke te verkrijgen is via ons kantoor, is in te leveren t/m dinsdag 22 juli 2025 tot 17.00 uur bij Midden Nederland Makelaars Barneveld, Kampstraat 32 te Barneveld of per e-mail: (met ontvangstbevestiging versturen).
Kadastrale informatie:
Kadastraal bekend bij de gemeente Garderen, sectie L, nummer 586, groot ca. 8.240 m²
Bestemming:
De geldende bestemming voor dit perceel is agrarisch zonder bebouwingsmogelijkheden.
Bijzonderheden:
- Slootschouwing is niet van toepassing.
- De jacht is niet verpacht.
- Er is een ontsluiting op de Harskamperweg.
- Gewenste oplevering en overdracht is 1 oktober 2025.
Overige informatie is via ons kantoor op te vragen.
Involved real estate agent
NVM real estate agent
Midden Nederland Bedrijfsmakelaars B.V.
Map
Map is loading...
Cadastral boundaries
Buildings
Travel time
Gain insight into the reachability of this object, for instance from a public transport station or a home address.