Otelaarseweg 23-25 3771 VJ Barneveld
€ 2,395,000 k.k.
Description
De perfecte balans tussen representatieve werkruimte en sfeervol wonen maakt dit object uitzonderlijk in zijn soort.
Een zeldzame kans voor wie op zoek is naar een duurzame, hoogwaardige woon-werkcombinatie met luxe voorzieningen, een uitstekende bereikbaarheid én een unieke ligging aan de rand van Barneveld. Deze prachtige villa met grote multifunctionele bedrijfshal heeft het allemaal!
Vraag gerust naar een bezichtiging en ervaar zelf deze unieke plek!
Locatie
De combinatie van wonen en werken op één erf vraagt om een unieke ligging; en dat is exact wat de Otelaarseweg biedt. Deze locatie biedt bijvoorbeeld (zelfstandig) ondernemers het beste van twee werelden: een centrale ligging met uitstekende bereikbaarheid gecombineerd met een groene, ruimtelijke woonomgeving.
Binnen enkele minuten rijdt u op de A30 of de A1, waardoor steden zoals Utrecht en Arnhem, maar ook de Randstad snel een eenvoudig te bereiken zijn.
Toe aan rust en ontspanning? Bezoek dan het nabijgelegen Landgoed ‘Het Paradijs’ of pak de fiets richting het gezellige dorpscentrum van Barneveld met onder andere diverse winkels, scholen en horecagelegenheden.
Omschrijving woonhuis
Deze in 2014 gebouwde villa is volledig geïsoleerd en voldoet aan alle hedendaagse eisen. Het geheel is met zorg ontworpen, gebouwd en onderhouden, met oog voor detail, duurzaamheid en functionaliteit. Verwarmen én koelen gebeurt via een energiezuinig warmtepompsysteem, ondersteund door vloerverwarming (met koelfunctie) op de begane grond en eerste verdieping.
Tijdens de bouw zijn er bewuste materiaalkeuze gemaakt met oog op duurzaamheid en uitstraling, welke de woning nagenoeg onderhoudsvrij maken. Kunststof kozijnen en windveren, duurzaam hout voor de overstekken, handvorm gevelstenen en keramische pannen zijn hier slechts enkele voorbeelden van.
Binnen laat ook de afwerking niet te wensen over. Hoge plinten, inbouwspots, strak stucwerk en stompe houten deuren vormen een prachtig geheel met onder andere de houtlook plavuizenvloer en het neutrale kleurgebruik. De woning is geheel voorzien van vloerverwarming (met koelfunctie). Extra comfort wordt geboden door het ingebouwde centraal stofzuigsysteem.
Begane grond:
Via de hoofdentree wordt u ontvangen in de royale hal. De stijl die u aantreft bij het binnengaan van deze villa is door de gehele woning doorgevoerd. De entree met vide en hoge plafonds geven de hoofdentree extra allure.
Nadat u uw jas heeft opgehangen in de garderobe nis, loopt u via dubbele openslaande deuren de woonkeuken binnen.
Het landelijke keukenblok met granieten blad is van alle gemakken voorzien, zoals onder andere een inductie-kookplaat, afzuigkap, heteluchtoven/magnetron, vaatwasser en koelkast. De woonkeuken biedt voldoende ruimte voor het plaatsen van een grote eetkamertafel voor het hele gezin en staat via een grote schuifpui in verbinding met de tuin en overkapping. De grote schuifpui geeft niet alleen prachtig zicht op de tuin en achterliggende landerijen, maar ook veel lichtinval in de ruimte.
Aan de voorzijde van de woning is de ruime woonkamer gelegen, voorzien van een spekkachel. De woonkamer is en suite verbonden met de keuken en heeft ook dubbele openslaande deuren naar de hal.
Op de begane grond bevindt zich een slaapkamer met aansluitend een ruime badkamer met ligbad, inloopdouche, wasmeubel, toilet en decorradiator om de handdoeken te drogen. Daarnaast is er ook een separaat toilet.
Tot slot is vanuit de centrale hal de meterkast en een berging c.q. technische ruimte met opstelplaats voor het verwarmingssysteem en het warmwater voorraadvat bereikbaar.
Aan de achterzijde van de woning verbindt een hal/bijkeuken de woning vanuit de keuken met de aangebouwde garage. In deze bijkeuken is er een vaste kastenwand geplaatst met aansluitingen voor de witgoedapperatuur.
Zowel de garage als de hal hebben een achter entree. De ruime dubbele garage beschikt over automatisch op afstand bedienbare Horrmann deuren, een vaste kastenwand voorzien van een koel-/vriescombinatie, (stoom)oven en opstelplaats voor het stofzuigsysteem. Tot slot is er een zolderruimte welke bereikbaar is middels een vlizotrap.
Eerste verdieping:
Op de eerste verdieping treft u de overloop met vide, een bergkast en drie royale slaapkamers, waarvan er één is voorzien van een vaste kastenwand. Op de gehele eerste etage is vloerbedekking aangebracht.
Ook bevindt zich op de verdieping een tweede badkamer in neutrale kleurstelling. Deze beschikt over een douche, wastafel en toilet.
Tuin:
De fraai aangelegde en uitstekend onderhouden tuin heeft een speelse uitstraling dankzij de sierlijke rondingen in het ontwerp. Op één van de zonnige terrassen geniet u in alle rust van het weidse uitzicht, terwijl de automatische beregeningsinstallatie zorgt voor een gezonde en groene beplanting en een strak gazon, zonder dat u hier omkijken naar heeft.
Multifunctionele bedrijfsruimte:
De veelzijdige en compleet uitgeruste bedrijfsruimte is opgetrokken van duurzame materialen. De constructie van stalen spanten wordt omvangen door de buitenwanden, welke zijn opgetrokken van steen en deels van geïsoleerde damwandplaten. Het dak bestaat uit geïsoleerde sandwichpanelen, waar tevens 26 zonnepanelen op zijn gepositioneerd. Aan de zijkant is er een aangebouwde overkapping gerealiseerd.
Inpandig is de ruimte afgewerkt met een 15 tot 20 cm geïsoleerde, gevlinderde betonvloer. Er zijn brandblusvoorzieningen en krachtstroom aanwezig.
De multifunctionele bedrijfsruimte is onderverdeeld in een vijftal compartimenten. Eén compartiment van 14,5 x 10 meter, voorzien van een separaat toilet. Vier compartimenten met een afmeting van 14,5 x 5 meter. Eén van deze vier compartimenten is voorzien van een separaat toilet én entresol van ca. 50 m². Iedere ruimte is afzonderlijk toegankelijk middels een eigen sectionaaldeur met loopdeur.
Het geheel is omringd door solide erfverharding bestaande uit overwegend keramische klinkers. Aan de zijkant zijn er stelconplaten aangebracht.
Nutsvoorzieningen:
Er een eigen waterbron aanwezig met ontijzering-installatie. Het perceel is aangesloten op elektra en tevens op (pers)riolering. Aan de weg ligt er een glasvezelaansluiting, welke desgewenst kan worden binnengebracht.
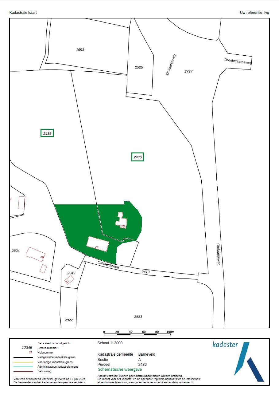
Kadastrale informatie:
Het perceel is kadastraal bekend gemeente Barneveld, sectie A, nummers 3165, groot ca. 8130 m².
Bestemmingsplan informatie:
De locatie beschikt over een bedrijvenbestemming, nader aangeduid als aannemersbestemming met bijbehorende bedrijfswoning. Tevens is er een kleine weide aanwezig die de bestemming agrarisch zonder bebouwingsmogelijkheden heeft. Ideaal voor ondernemers die wonen en werken willen combineren op één hoogwaardige, goed bereikbare locatie, omringd door groen en vrijheid.
Overige informatie is via ons kantoor op te vragen.
Een zeldzame kans voor wie op zoek is naar een duurzame, hoogwaardige woon-werkcombinatie met luxe voorzieningen, een uitstekende bereikbaarheid én een unieke ligging aan de rand van Barneveld. Deze prachtige villa met grote multifunctionele bedrijfshal heeft het allemaal!
Vraag gerust naar een bezichtiging en ervaar zelf deze unieke plek!
Locatie
De combinatie van wonen en werken op één erf vraagt om een unieke ligging; en dat is exact wat de Otelaarseweg biedt. Deze locatie biedt bijvoorbeeld (zelfstandig) ondernemers het beste van twee werelden: een centrale ligging met uitstekende bereikbaarheid gecombineerd met een groene, ruimtelijke woonomgeving.
Binnen enkele minuten rijdt u op de A30 of de A1, waardoor steden zoals Utrecht en Arnhem, maar ook de Randstad snel een eenvoudig te bereiken zijn.
Toe aan rust en ontspanning? Bezoek dan het nabijgelegen Landgoed ‘Het Paradijs’ of pak de fiets richting het gezellige dorpscentrum van Barneveld met onder andere diverse winkels, scholen en horecagelegenheden.
Omschrijving woonhuis
Deze in 2014 gebouwde villa is volledig geïsoleerd en voldoet aan alle hedendaagse eisen. Het geheel is met zorg ontworpen, gebouwd en onderhouden, met oog voor detail, duurzaamheid en functionaliteit. Verwarmen én koelen gebeurt via een energiezuinig warmtepompsysteem, ondersteund door vloerverwarming (met koelfunctie) op de begane grond en eerste verdieping.
Tijdens de bouw zijn er bewuste materiaalkeuze gemaakt met oog op duurzaamheid en uitstraling, welke de woning nagenoeg onderhoudsvrij maken. Kunststof kozijnen en windveren, duurzaam hout voor de overstekken, handvorm gevelstenen en keramische pannen zijn hier slechts enkele voorbeelden van.
Binnen laat ook de afwerking niet te wensen over. Hoge plinten, inbouwspots, strak stucwerk en stompe houten deuren vormen een prachtig geheel met onder andere de houtlook plavuizenvloer en het neutrale kleurgebruik. De woning is geheel voorzien van vloerverwarming (met koelfunctie). Extra comfort wordt geboden door het ingebouwde centraal stofzuigsysteem.
Begane grond:
Via de hoofdentree wordt u ontvangen in de royale hal. De stijl die u aantreft bij het binnengaan van deze villa is door de gehele woning doorgevoerd. De entree met vide en hoge plafonds geven de hoofdentree extra allure.
Nadat u uw jas heeft opgehangen in de garderobe nis, loopt u via dubbele openslaande deuren de woonkeuken binnen.
Het landelijke keukenblok met granieten blad is van alle gemakken voorzien, zoals onder andere een inductie-kookplaat, afzuigkap, heteluchtoven/magnetron, vaatwasser en koelkast. De woonkeuken biedt voldoende ruimte voor het plaatsen van een grote eetkamertafel voor het hele gezin en staat via een grote schuifpui in verbinding met de tuin en overkapping. De grote schuifpui geeft niet alleen prachtig zicht op de tuin en achterliggende landerijen, maar ook veel lichtinval in de ruimte.
Aan de voorzijde van de woning is de ruime woonkamer gelegen, voorzien van een spekkachel. De woonkamer is en suite verbonden met de keuken en heeft ook dubbele openslaande deuren naar de hal.
Op de begane grond bevindt zich een slaapkamer met aansluitend een ruime badkamer met ligbad, inloopdouche, wasmeubel, toilet en decorradiator om de handdoeken te drogen. Daarnaast is er ook een separaat toilet.
Tot slot is vanuit de centrale hal de meterkast en een berging c.q. technische ruimte met opstelplaats voor het verwarmingssysteem en het warmwater voorraadvat bereikbaar.
Aan de achterzijde van de woning verbindt een hal/bijkeuken de woning vanuit de keuken met de aangebouwde garage. In deze bijkeuken is er een vaste kastenwand geplaatst met aansluitingen voor de witgoedapperatuur.
Zowel de garage als de hal hebben een achter entree. De ruime dubbele garage beschikt over automatisch op afstand bedienbare Horrmann deuren, een vaste kastenwand voorzien van een koel-/vriescombinatie, (stoom)oven en opstelplaats voor het stofzuigsysteem. Tot slot is er een zolderruimte welke bereikbaar is middels een vlizotrap.
Eerste verdieping:
Op de eerste verdieping treft u de overloop met vide, een bergkast en drie royale slaapkamers, waarvan er één is voorzien van een vaste kastenwand. Op de gehele eerste etage is vloerbedekking aangebracht.
Ook bevindt zich op de verdieping een tweede badkamer in neutrale kleurstelling. Deze beschikt over een douche, wastafel en toilet.
Tuin:
De fraai aangelegde en uitstekend onderhouden tuin heeft een speelse uitstraling dankzij de sierlijke rondingen in het ontwerp. Op één van de zonnige terrassen geniet u in alle rust van het weidse uitzicht, terwijl de automatische beregeningsinstallatie zorgt voor een gezonde en groene beplanting en een strak gazon, zonder dat u hier omkijken naar heeft.
Multifunctionele bedrijfsruimte:
De veelzijdige en compleet uitgeruste bedrijfsruimte is opgetrokken van duurzame materialen. De constructie van stalen spanten wordt omvangen door de buitenwanden, welke zijn opgetrokken van steen en deels van geïsoleerde damwandplaten. Het dak bestaat uit geïsoleerde sandwichpanelen, waar tevens 26 zonnepanelen op zijn gepositioneerd. Aan de zijkant is er een aangebouwde overkapping gerealiseerd.
Inpandig is de ruimte afgewerkt met een 15 tot 20 cm geïsoleerde, gevlinderde betonvloer. Er zijn brandblusvoorzieningen en krachtstroom aanwezig.
De multifunctionele bedrijfsruimte is onderverdeeld in een vijftal compartimenten. Eén compartiment van 14,5 x 10 meter, voorzien van een separaat toilet. Vier compartimenten met een afmeting van 14,5 x 5 meter. Eén van deze vier compartimenten is voorzien van een separaat toilet én entresol van ca. 50 m². Iedere ruimte is afzonderlijk toegankelijk middels een eigen sectionaaldeur met loopdeur.
Het geheel is omringd door solide erfverharding bestaande uit overwegend keramische klinkers. Aan de zijkant zijn er stelconplaten aangebracht.
Nutsvoorzieningen:
Er een eigen waterbron aanwezig met ontijzering-installatie. Het perceel is aangesloten op elektra en tevens op (pers)riolering. Aan de weg ligt er een glasvezelaansluiting, welke desgewenst kan worden binnengebracht.
Kadastrale informatie:
Het perceel is kadastraal bekend gemeente Barneveld, sectie A, nummers 3165, groot ca. 8130 m².
Bestemmingsplan informatie:
De locatie beschikt over een bedrijvenbestemming, nader aangeduid als aannemersbestemming met bijbehorende bedrijfswoning. Tevens is er een kleine weide aanwezig die de bestemming agrarisch zonder bebouwingsmogelijkheden heeft. Ideaal voor ondernemers die wonen en werken willen combineren op één hoogwaardige, goed bereikbare locatie, omringd door groen en vrijheid.
Overige informatie is via ons kantoor op te vragen.
Features
Transfer of ownership
- Asking price
- € 2,395,000 kosten koper
- Listed since
-
- Status
- Available
- Acceptance
- Available in consultation
Construction
- Main use
- Industrial unit
- Building type
- Resale property
- Year of construction
- 2014
Surface areas
- Area
- 465 m²
- Industrial unit area
- 465 m²
- Area of site
- 535 m²
- Clearance
- 9.7 m
- Plot size
- 9,000 m²
Layout
- Facilities
- Overhead doors, three-phase electric power, concrete floor and toilet
- Living space
- Present (detached, 0 m²)
Energy
- Energy label
- Not available
Surroundings
- Location
- Rural area
- Accessibility
- Bus stop in 500 m to 1000 m, subway station in 5000 m or more, subway junction in 5000 m or more, Dutch Railways Intercity station in 2000 m to 3000 m, motorway exit in less than 500 m, Tram stop in 5000 m or more and tram junction in 5000 m or more
NVM real estate agent
Photos
Floorplan
Begane grond
1e verdieping
Garage
Garage 1e
Bedrijfshallen
Tuin