Zeppelinstraat 27 2652 XB Berkel en Rodenrijs
- Sold under reservation
                € 265,000 k.k.
            
         
Description
Te koop bedrijfsruimte  
  
Zeppelinstraat 27, 2652 XB Berkel en Rodenrijs
  
ALGEMEEN
 
De Zeppelinstraat 27 is gelegen op het bedrijventerrein Oudeland in Berkel & Rodenrijs. Het object maakt deel uit van het project "Take Off Bedrijfsunits". De architectuur, de verdieping met veel raampartijen, zorgen voor een opvallende, vriendelijke en transparante uitstraling. Op korte termijn komt hier een representatieve bedrijfsunit voor verkoop beschikbaar.
 
De Zeppelinstraat 27 ligt zeer centraal tussen de gemeentes Delft, Zoetermeer, Pijnacker-Nootdorp en Lansingerland in. Op hemelsbreed ongeveer 500 meter vindt u Rotterdam-The Hague Airport en binnen circa 15 minuten bent u in het centrum van Rotterdam en in ongeveer 30 minuten in het centrum van Den Haag. Het terrein is goed bereikbaar via de provinciale wegen die snel aansluiting geven op de snelwegen A20, A13 en A12. In de toekomst komt daar de ontsluiting op de nieuwe A13/A16 bij. Op circa 10 minuten lopen treft u bovendien een halte aan van de E-lijn van de RET. Op Bedrijvenpark Oudeland zijn onder andere horeca groothandel Sligro gevestigd, maar ook Pro Alloy Nederland, McDonalds, Hilti, pakketvervoerder DPD en Van der Linde catering en evenementen.
 
KADASTRALE GEGEVENS
 
Gemeente : Berkel en Rodenrijs
Sectie : B
Nummer : 10943 A14 (ontstaan 10936)
Bouwjaar: 2020
 
BESTEMMING
 
De bestemming van de Zeppelinstraat 27 is "bedrijventerrein".
 
Bestemmingsplan : Bedrijvenpark Oudeland
 
Planstatus : vastgesteld 31-03-2011
 
Overheid: gemeente Lansingerland
 
Enkelbestemming : bedrijventerrein
 
Categorie : functieaanduiding bedrijf tot en met categorie 3.1
 
Maatvoering : maximum bouwhoogte 8 m / minimum bouwhoogte 4 m / maximum goothoogte 4 m
 
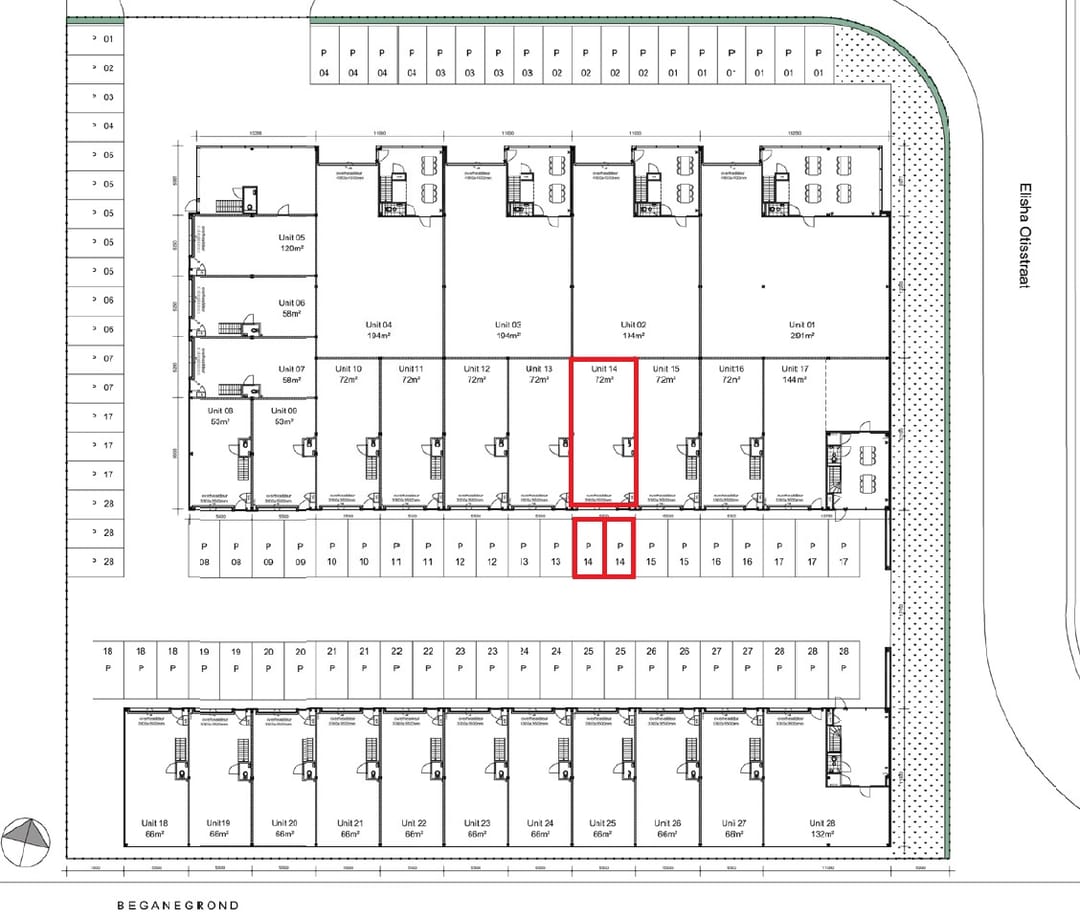
INDELING + OPLEVERINGSNIVEAU
 
De Zeppelinstraat 27 beschikt over twee bouwlagen, als volgt ingedeeld:
 
- begane grond : ca. 72 m² b.v.o.
- eerste verdieping : ca. 72 m² b.v.o
 
Het pand beschikt over 2 eigen parkeerplaatsen.
 
Het object wordt opgeleverd met onder andere de volgende voorzieningen:
 
Bedrijfsruimte
- betonvloer/ voorzien van vloerafwerking
- vloerbelasting 1.000 kg/m²
- overheaddeur 3,5m¹ hoog
- krachtstroom
- diverse wandcontactdozen
- t.l.-verlichting
- toilet
  
Verdiepingsvloer
- verlichtingsarmaturen
- huidige vloerbedekking
- kozijnen met isolatieglas (hoge ramen)
- airco splitunits
- pantry
 
KOOPSOM EN OPLEVERING
 
Koopsom: € 265.000,- k.k. excl. BTW
Oplevering : in overleg
Diversen : koper dient zich te confirmeren aan het huishoudelijk reglement en de akte van splitsing
VvE : € 168,37 per maand
OZB : € 1.554,-
Waterschapsbelasting : € 129,23
Energielabel : A++
 
Algemeen : de informatie betreffende de bedrijfsruimte aan de Zeppelinstraat 27 te Berkel en Rodenrijs is met zorg samengesteld. Voor de juistheid daarvan kan door Hopman en Schreuder Bedrijfshuisvesting BV geen aansprakelijkheid worden aanvaard, noch kan aan de vermelde gegevens enig recht worden ontleend. Alle opgegeven oppervlakten en afmetingen zijn indicatief. Deze informatie dient slechts als uitnodiging om in onderhandeling te treden en kan derhalve niet worden beschouwd als een aanbod of offerte. Van toepassing zijn de NVM voorwaarden.
Zeppelinstraat 27, 2652 XB Berkel en Rodenrijs
ALGEMEEN
De Zeppelinstraat 27 is gelegen op het bedrijventerrein Oudeland in Berkel & Rodenrijs. Het object maakt deel uit van het project "Take Off Bedrijfsunits". De architectuur, de verdieping met veel raampartijen, zorgen voor een opvallende, vriendelijke en transparante uitstraling. Op korte termijn komt hier een representatieve bedrijfsunit voor verkoop beschikbaar.
De Zeppelinstraat 27 ligt zeer centraal tussen de gemeentes Delft, Zoetermeer, Pijnacker-Nootdorp en Lansingerland in. Op hemelsbreed ongeveer 500 meter vindt u Rotterdam-The Hague Airport en binnen circa 15 minuten bent u in het centrum van Rotterdam en in ongeveer 30 minuten in het centrum van Den Haag. Het terrein is goed bereikbaar via de provinciale wegen die snel aansluiting geven op de snelwegen A20, A13 en A12. In de toekomst komt daar de ontsluiting op de nieuwe A13/A16 bij. Op circa 10 minuten lopen treft u bovendien een halte aan van de E-lijn van de RET. Op Bedrijvenpark Oudeland zijn onder andere horeca groothandel Sligro gevestigd, maar ook Pro Alloy Nederland, McDonalds, Hilti, pakketvervoerder DPD en Van der Linde catering en evenementen.
KADASTRALE GEGEVENS
Gemeente : Berkel en Rodenrijs
Sectie : B
Nummer : 10943 A14 (ontstaan 10936)
Bouwjaar: 2020
BESTEMMING
De bestemming van de Zeppelinstraat 27 is "bedrijventerrein".
Bestemmingsplan : Bedrijvenpark Oudeland
Planstatus : vastgesteld 31-03-2011
Overheid: gemeente Lansingerland
Enkelbestemming : bedrijventerrein
Categorie : functieaanduiding bedrijf tot en met categorie 3.1
Maatvoering : maximum bouwhoogte 8 m / minimum bouwhoogte 4 m / maximum goothoogte 4 m
INDELING + OPLEVERINGSNIVEAU
De Zeppelinstraat 27 beschikt over twee bouwlagen, als volgt ingedeeld:
- begane grond : ca. 72 m² b.v.o.
- eerste verdieping : ca. 72 m² b.v.o
Het pand beschikt over 2 eigen parkeerplaatsen.
Het object wordt opgeleverd met onder andere de volgende voorzieningen:
Bedrijfsruimte
- betonvloer/ voorzien van vloerafwerking
- vloerbelasting 1.000 kg/m²
- overheaddeur 3,5m¹ hoog
- krachtstroom
- diverse wandcontactdozen
- t.l.-verlichting
- toilet
Verdiepingsvloer
- verlichtingsarmaturen
- huidige vloerbedekking
- kozijnen met isolatieglas (hoge ramen)
- airco splitunits
- pantry
KOOPSOM EN OPLEVERING
Koopsom: € 265.000,- k.k. excl. BTW
Oplevering : in overleg
Diversen : koper dient zich te confirmeren aan het huishoudelijk reglement en de akte van splitsing
VvE : € 168,37 per maand
OZB : € 1.554,-
Waterschapsbelasting : € 129,23
Energielabel : A++
Algemeen : de informatie betreffende de bedrijfsruimte aan de Zeppelinstraat 27 te Berkel en Rodenrijs is met zorg samengesteld. Voor de juistheid daarvan kan door Hopman en Schreuder Bedrijfshuisvesting BV geen aansprakelijkheid worden aanvaard, noch kan aan de vermelde gegevens enig recht worden ontleend. Alle opgegeven oppervlakten en afmetingen zijn indicatief. Deze informatie dient slechts als uitnodiging om in onderhandeling te treden en kan derhalve niet worden beschouwd als een aanbod of offerte. Van toepassing zijn de NVM voorwaarden.
Features
Transfer of ownership
- Asking price
- € 265,000 kosten koper
- Listed since
- 
        
- Status
- Sold under reservation
- Acceptance
- Available in consultation
Construction
- Main use
- Industrial unit
- Building type
- Resale property
- Year of construction
- 2020
Surface areas
- Area
- 144 m²
- Industrial unit area
- 144 m²
- Maximum load
- 1,000 kg/m²
Layout
- Facilities
- Air conditioning, overhead doors, three-phase electric power, concrete floor, toilet and pantry
Energy
- Energy label
- A++
Surroundings
- Location
- Business park
- Accessibility
- Subway station in 1000 m to 1500 m and motorway exit in 5000 m or more
Parking
- Parking spaces
- 2 uncovered parking spaces
NVM real estate agent
Photos
 
                     
                     
                     
                     
                     
                     
                     
                     
            Floorplan
First floor
