Drogerij 3 7621 HK Borne
€ 70 /m²/year

Description
Op zoek naar hoogwaardige bedrijfsruimte op een toplocatie?
Op het duurzame en uitstekend bereikbare bedrijventerrein De Veldkamp bieden wij een gedeelte van een modern bedrijfscomplex in aanbouw te huur aan. Het pand wordt deels in gebruik genomen door Jonge Poerink Conveyors, een gevestigde naam in de industriële sector. Binnen dit hoogwaardige complex komt circa 1.245 m² bedrijfsruimte beschikbaar met een eigen entree en een vrije hoogte van circa 10 meter – ideaal voor uiteenlopende bedrijfsactiviteiten.
De bedrijfsruimte wordt naar verwachting eind 2025 opgeleverd en is gelegen gelegen aan de noordkant van de snelwegen A1 en A35. Het bedrijventerrein is bestemd voor bedrijven in de sectoren transport, distributie, opslag, industrie, bouw en groothandel. Bedrijven tot en met milieucategorie 4 kunnen zich hier vestigen. De Drogerij betreft een hoogwaardig en energiezuinig bedrijfspand met een elektrische overheaddeur en derhalve zeer geschikt voor opslag- en/of lichte productiedoeleinden. In overleg is het tevens mogelijk om kantoorruimte te realiseren.
Indeling en metrages
Het betreft een gedeelte van het in aanbouw zijnde bedrijfspand, welke globaal als volgt is onderverdeeld:
Bedrijfsruimte (vrije hoogte ca. 10 meter) circa 1.245 m²
De oppervlakten zijn gemeten door verhurend makelaar uit een kopie bouwtekening. Het opgegeven metrage is derhalve indicatief; er kunnen geen rechten aan worden ontleend noch kan er sprake zijn van enige verrekening achteraf.
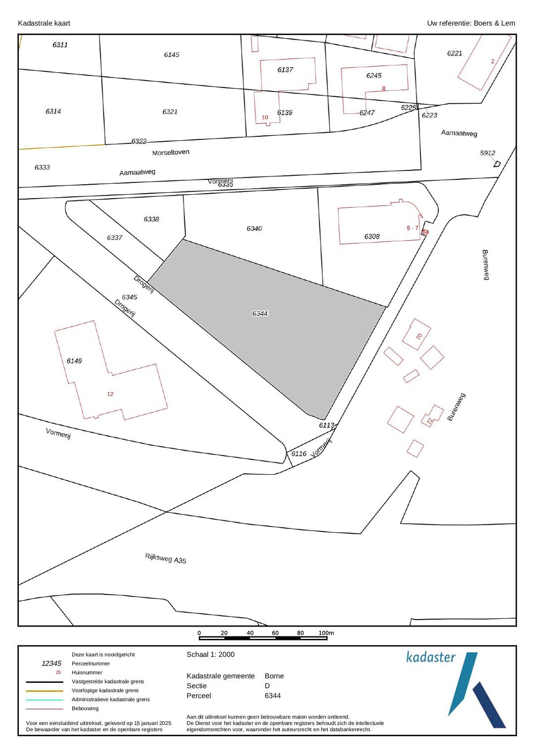
Kadastrale gegevens
Gemeente: Borne
Sectie: D
Nummer: 6344 (gedeeltelijk)
Voorzieningen
Het bedrijfsobject zal schoon en ontruimd worden opgeleverd inclusief de onderstaande voorzieningen:
Bedrijfsruimte:
- Elektrische overheaddeur
- LED-verlichting (250-lux)
- Verwarming middels heaters (gas)
- Vlakke betonvloer met een vloerbelasting van 2.500 kg/m²
- Vrije hoogte ca. 10 meter
- Toilet en pantry (in overleg)
- Mogelijkheid tot kantoorruimte
Locatie
Het object is gelegen op bedrijventerrein ''De Veldkamp''. Het bedrijventerrein ligt centraal in Twente en het zuidelijke deel van het terrein maakt deel uit van de 'Groene Wig', een ecologisch waardevol gebied. Het gemeentelijke monument “Boerderij de Lemerij” bevindt zich hier midden in het groen, en langs de naastgelegen vijver ligt een mooie wandelroute voor personeel. De ligging op het bedrijventerrein is uitstekend geschikt voor bedrijven in de sectoren logistiek, distributie en opslag. Diverse bedrijven hebben zich al gevestigd op De Veldkamp, waaronder Dutch Shape Aerospace and Automotive Tooling, Nijwa Trucks en Jonkman Coating.
Bereikbaarheid
Het bedrijfsobject is gelegen op een centrale locatie direct aan de Rijkssnelweg A1/A35. Via de afrit Borne West (afslag 29) alsmede via afslag Hengelo, is het bedrijventerrein goed en snel bereikbaar. De verbindingen richting Amsterdam, Berlijn en omliggende plaatsen zijn derhalve zeer goed te noemen. Een bushalte ligt op loopafstand. Het NS- en busstation zijn gelegen in het centrum van Borne, op ca. 7 minuten fietsafstand en ca. 20 minuten loopafstand.
Bestemmingsplan
Bedrijventerrein De Veldkamp 2014, Enkelbestemming Bedrijventerrein – bedrijf tot en met categorie 4.2
Huurprijs
€ 70,- per m² per jaar, te vermeerderen met BTW.
Servicekosten
Niet van toepassing. Het object beschikt over eigen aansluitingen ten behoeve van de nutsvoorzieningen.
Huurtermijn
Uitgangspunt 3 jaar met aansluitend 3 verlengingsjaren.
Opzegtermijn
6 maanden schriftelijk en aangetekend ten kantore van verhuurder.
Huurprijsaanpassing
Jaarlijks op basis van de consumentenprijsindex gepubliceerd door het Centraal Bureau voor de Statistiek (CBS), reeks alle huishoudens (2015=100).
Zekerheidstelling
Bankgarantie ter grootte van een bruto kwartaalverplichting.
Huurovereenkomst
Huurovereenkomst zal worden opgemaakt conform de ROZ model huurovereenkomst kantoorruimte en andere bedrijfsruimte in de zin van art. 7:230a BW.
Aanvaarding
Verwachte oplevering Q4 2025.
BTW
Verhuurder wenst te opteren voor BTW-belaste huur en verhuur. Ingeval huurder de BTW niet kan verrekenen zal de huurprijs in overleg met huurder worden verhoogd ter compensatie van de gevolgen van het vervallen van de mogelijkheid om te opteren voor BTW-belaste verhuur.
Voorbehoud
Definitieve goedkeuring opdrachtgever en/of verhuurder.
Informatie
Wij hebben getracht middels deze zorgvuldig samengestelde documentatie je zo uitgebreid mogelijk te informeren. Desondanks kunnen hieraan geen rechten worden ontleend. Slechts de feitelijke situatie geeft je een juist beeld.
Op het duurzame en uitstekend bereikbare bedrijventerrein De Veldkamp bieden wij een gedeelte van een modern bedrijfscomplex in aanbouw te huur aan. Het pand wordt deels in gebruik genomen door Jonge Poerink Conveyors, een gevestigde naam in de industriële sector. Binnen dit hoogwaardige complex komt circa 1.245 m² bedrijfsruimte beschikbaar met een eigen entree en een vrije hoogte van circa 10 meter – ideaal voor uiteenlopende bedrijfsactiviteiten.
De bedrijfsruimte wordt naar verwachting eind 2025 opgeleverd en is gelegen gelegen aan de noordkant van de snelwegen A1 en A35. Het bedrijventerrein is bestemd voor bedrijven in de sectoren transport, distributie, opslag, industrie, bouw en groothandel. Bedrijven tot en met milieucategorie 4 kunnen zich hier vestigen. De Drogerij betreft een hoogwaardig en energiezuinig bedrijfspand met een elektrische overheaddeur en derhalve zeer geschikt voor opslag- en/of lichte productiedoeleinden. In overleg is het tevens mogelijk om kantoorruimte te realiseren.
Indeling en metrages
Het betreft een gedeelte van het in aanbouw zijnde bedrijfspand, welke globaal als volgt is onderverdeeld:
Bedrijfsruimte (vrije hoogte ca. 10 meter) circa 1.245 m²
De oppervlakten zijn gemeten door verhurend makelaar uit een kopie bouwtekening. Het opgegeven metrage is derhalve indicatief; er kunnen geen rechten aan worden ontleend noch kan er sprake zijn van enige verrekening achteraf.
Kadastrale gegevens
Gemeente: Borne
Sectie: D
Nummer: 6344 (gedeeltelijk)
Voorzieningen
Het bedrijfsobject zal schoon en ontruimd worden opgeleverd inclusief de onderstaande voorzieningen:
Bedrijfsruimte:
- Elektrische overheaddeur
- LED-verlichting (250-lux)
- Verwarming middels heaters (gas)
- Vlakke betonvloer met een vloerbelasting van 2.500 kg/m²
- Vrije hoogte ca. 10 meter
- Toilet en pantry (in overleg)
- Mogelijkheid tot kantoorruimte
Locatie
Het object is gelegen op bedrijventerrein ''De Veldkamp''. Het bedrijventerrein ligt centraal in Twente en het zuidelijke deel van het terrein maakt deel uit van de 'Groene Wig', een ecologisch waardevol gebied. Het gemeentelijke monument “Boerderij de Lemerij” bevindt zich hier midden in het groen, en langs de naastgelegen vijver ligt een mooie wandelroute voor personeel. De ligging op het bedrijventerrein is uitstekend geschikt voor bedrijven in de sectoren logistiek, distributie en opslag. Diverse bedrijven hebben zich al gevestigd op De Veldkamp, waaronder Dutch Shape Aerospace and Automotive Tooling, Nijwa Trucks en Jonkman Coating.
Bereikbaarheid
Het bedrijfsobject is gelegen op een centrale locatie direct aan de Rijkssnelweg A1/A35. Via de afrit Borne West (afslag 29) alsmede via afslag Hengelo, is het bedrijventerrein goed en snel bereikbaar. De verbindingen richting Amsterdam, Berlijn en omliggende plaatsen zijn derhalve zeer goed te noemen. Een bushalte ligt op loopafstand. Het NS- en busstation zijn gelegen in het centrum van Borne, op ca. 7 minuten fietsafstand en ca. 20 minuten loopafstand.
Bestemmingsplan
Bedrijventerrein De Veldkamp 2014, Enkelbestemming Bedrijventerrein – bedrijf tot en met categorie 4.2
Huurprijs
€ 70,- per m² per jaar, te vermeerderen met BTW.
Servicekosten
Niet van toepassing. Het object beschikt over eigen aansluitingen ten behoeve van de nutsvoorzieningen.
Huurtermijn
Uitgangspunt 3 jaar met aansluitend 3 verlengingsjaren.
Opzegtermijn
6 maanden schriftelijk en aangetekend ten kantore van verhuurder.
Huurprijsaanpassing
Jaarlijks op basis van de consumentenprijsindex gepubliceerd door het Centraal Bureau voor de Statistiek (CBS), reeks alle huishoudens (2015=100).
Zekerheidstelling
Bankgarantie ter grootte van een bruto kwartaalverplichting.
Huurovereenkomst
Huurovereenkomst zal worden opgemaakt conform de ROZ model huurovereenkomst kantoorruimte en andere bedrijfsruimte in de zin van art. 7:230a BW.
Aanvaarding
Verwachte oplevering Q4 2025.
BTW
Verhuurder wenst te opteren voor BTW-belaste huur en verhuur. Ingeval huurder de BTW niet kan verrekenen zal de huurprijs in overleg met huurder worden verhoogd ter compensatie van de gevolgen van het vervallen van de mogelijkheid om te opteren voor BTW-belaste verhuur.
Voorbehoud
Definitieve goedkeuring opdrachtgever en/of verhuurder.
Informatie
Wij hebben getracht middels deze zorgvuldig samengestelde documentatie je zo uitgebreid mogelijk te informeren. Desondanks kunnen hieraan geen rechten worden ontleend. Slechts de feitelijke situatie geeft je een juist beeld.
Features
Transfer of ownership
- Rental price
- € 70 per square meter per year
- Listed since
-
- Status
- Available
- Acceptance
- Available in consultation
Construction
- Main use
- Industrial unit
- Building type
- Resale property
- Year of construction
- Currently under construction
Surface areas
- Area
- 1,245 m²
- Industrial unit area
- 1,245 m²
- Clearance
- 10 m
Layout
- Facilities
- Overhead doors, concrete floor, heater, toilet and pantry
Energy
- Energy label
- Not required
Surroundings
- Location
- Business park
- Accessibility
- Bus stop in 500 m to 1000 m, Dutch Railways Intercity station in 1000 m to 1500 m and motorway exit in less than 500 m
NVM real estate agent
Photos






