Boeingavenue 309-F 1119 PD Schiphol-Rijk
€ 3,400 p/mo.
Price on request

Description
OBJECT
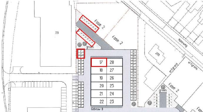
Moderne hoekunit van circa 200 m² inclusief 17 parkeerplaatsen beschikbaar voor de verhuur en verkoop! De bedrijfsunit maakt deel uit van 'De Mainport' gebouwd in 2020 te Schiphol-Rijk. Het project bestaat uit 2 bedrijfsverzamelgebouwen met in totaal 28 multifunctionele bedrijfsunits en heeft een representatieve en solide uitstraling vanwege de toegepaste materialen. De units kunnen voor allerlei soorten bedrijfsactiviteiten worden gebruikt, zoals opslag, werkplaats, kantoor en/of showroom. Daarnaast zijn de parkeerplaatsen voorzien van diverse laadpunten voor elektrisch vervoer, gerealiseerd door de huidige huurder en deze worden ter overname aangeboden, ideaal voor een modern en duurzaam wagenpark.
BOUWJAAR/BOUWPERIODE
2020.
LOCATIE
De Mainport is gelegen aan de Boeingavenue op kantoren-/bedrijventerrein StarParc op Schiphol-Rijk. Schiphol-Rijk is strategisch gelegen aan de N196 en N201 en heeft een goede uitstraling met veel groen en water. Het terrein is uitstekend bereikbaar per auto via de snelwegen A4, A5, A44 en A9. Hoofddorp en Aalsmeer zijn eenvoudig bereikbaar via de N196 en N201. Schiphol-Oost en Amstelveen zijn snel bereikbaar via de Fokkerweg (N232). Bloemenveiling FloraHolland, Greenpark Aalsmeer en de Luchthaven Schiphol bevinden zich op enkele autominuten afstand. Per openbaar vervoer is het complex goed bereikbaar via diverse bushaltes op loopafstand, met uitstekende verbindingen naar onder andere de luchthaven Schiphol.
KADASTRALE GEGEVENS
• Bedrijfsunit: Gemeente Haarlemmermeer, sectie AK, nummer 3277, perceeloppervlakte 105 m² (recht van eigendom) met het 40/1.171e onverdeeld aandeel in mandelig terrein
• 7 parkeerplaatsen: Gemeente Haarlemmermeer, sectie AK, nummer 3291, perceeloppervlakte 93 m² (recht van eigendom) met het 21/1.171e onverdeeld aandeel in mandelig terrein
• 7 parkeerplaatsen: Gemeente Haarlemmermeer, sectie AK, nummer 3293, perceeloppervlakte 89 m² (recht van eigendom) met het 21/1.171e onverdeeld aandeel in mandelig terrein
Het mandelige terrein is bekend als Gemeente Haarlemmermeer, sectie AK, nummer 3503.
BESTEMMINGSPLAN
Bedrijf tot en met categorie 2 conform bestemmingsplan ‘Schiphol-Rijk 1e wijziging’.
ENERGIELABEL
Het object beschikt over energielabel A++ (geldig tot 07-09-2030).
VLOEROPPERVLAKTE
Voor de verhuur/verkoop is beschikbaar:
• Begane grond: ca. 100 m² bedrijfsruimte
• 1e verdieping: ca. 100 m² kantoorruimte
• Totaal: ca. 200 m² b.v.o.
Er is een NEN 2580 meetrapport aanwezig.
PARKEREN
Tot het object behoren 3 vaste parkeerplaatsen op mandelig terrein en 14 separate parkeerplaatsen op eigen terrein. De parkeerplaatsen grenzen praktisch aan het object wat enorme voordelen oplevert. Dit is een unieke mogelijkheid voor bedrijven die een bovengemiddeld aantal parkeerplaatsen nodig hebben.
VOORZIENINGEN BEGANE GROND
Het object wordt in de huidige staat (“as is, where is”) opgeleverd voorzien van onder andere:
• Handmatig bedienbare overheaddeur (ca. 3,00 x 3,40 m.)
• Separate loopdeur met toegang tot entreehal met meterkast en dichte trap naar 1e verdieping
• Glad en gecoate betonvloer met een maximale vloerbelasting ca. 2.000 kg/m²
• Toiletruimte met fontein
• 2 Koud water tappunten
• Diverse wandcontactdozen
• Plafond airco unit t.b.v. verwarmen en koelen
• Verlichtingsarmaturen (led)
• Vrije hoogte ca. 3,75 meter
• Serverruimte
VOORZIENINGEN EERSTE VERDIEPING
• Afsluitbare entreehal bovenaan de trap
• Gestuukte en geschilderde wanden
• Tegel vloerafwerking
• Maximale vloerbelasting ca. 400 kg/m
• Aansluitingen voor elektra en data
• Luxe pantry voorzien van spoelbak, Quooker kraan en vaatwasser
• Te openen ramen
• 2 plafond airco units t.b.v. verwarmen en koelen
• Systeemplafonds met ledverlichting
• Te openen dakkoepel
• 12 zonnepanelen
VOORZIENINGEN BUITENTERREIN
• Verhard buitenterrein
• Gevelverlichting
NUTSVOORZIENINGEN
Het object beschikt over aansluitingen voor water en elektra. In geval van huur dient de huurder zelf leveringscontracten af te sluiten. Er is een glasvezelaansluiting aanwezig.
HUURPRIJS
€ 3.400,- per maand te vermeerderen met servicekosten en BTW.
SERVICEKOSTEN
€ 200,- per maand te vermeerderen met BTW.
HUURVOORWAARDEN
• Huurtermijn: minimaal 3 jaar met telkens een verlengingsmogelijkheid. Afwijkende huurperioden zijn bespreekbaar.
• Opzegtermijn: 6 maanden, doch afhankelijk van de overeen te komen huurperioden.
• Betalingen: per maand vooruit.
• BTW: de verhuurder opteert voor BTW-belaste verhuur.
• Zekerheidsstelling: bankgarantie of waarborgsom ter grootte van drie maanden huur inclusief servicekosten en BTW.
• Huurprijsaanpassing: jaarlijks, voor het eerst één jaar na de huuringangsdatum, op basis van de wijziging van het maandprijsindexcijfer volgens de consumentenprijsindex (CPI) reeks alle huishoudens (2015=100), gepubliceerd door het Centraal Bureau voor de Statistiek (CBS).
• Huurovereenkomst: gebaseerd op het model zoals in 2015 is vastgesteld door de Raad voor Onroerende Zaken (ROZ).
• Aanvaarding/oplevering: in overleg, op korte termijn beschikbaar.
VRAAGPRIJS
Op aanvraag.
BEHEERVERENIGING
Naam: Coöperatie van eigenaren ‘De Mainport’ U.A.
Bijdrage: € 524,- per kwartaal (2025)
KOOPVOORWAARDEN
• BTW: het betreft een BTW-belaste verkoop.
• Zekerheidsstelling: waarborgsom ter grootte van 10% van de koopsom te voldoen bij de notaris binnen twee weken na ondertekening van de koopovereenkomst.
• Notaris: ter keuze van koper.
• Erfdienstbaarheden, kwalitatieve bedingen en/of bijzondere verplichtingen: zoals vermeld in de eigendomsakte. Op aanvraag beschikbaar.
• Aanvaarding/oplevering: in overleg, op korte termijn beschikbaar.
VOORBEHOUD
Definitieve goedkeuring en gunning door eigenaar.
DISCLAIMER
De vermelde informatie is van algemene aard en is niet meer dan een uitnodiging om in onderhandeling te treden. Bezichtigingen vinden uitsluitend op afspraak plaats. Aan de inhoud van deze zorgvuldig samengestelde informatie kunnen geen rechten worden ontleend.
Moderne hoekunit van circa 200 m² inclusief 17 parkeerplaatsen beschikbaar voor de verhuur en verkoop! De bedrijfsunit maakt deel uit van 'De Mainport' gebouwd in 2020 te Schiphol-Rijk. Het project bestaat uit 2 bedrijfsverzamelgebouwen met in totaal 28 multifunctionele bedrijfsunits en heeft een representatieve en solide uitstraling vanwege de toegepaste materialen. De units kunnen voor allerlei soorten bedrijfsactiviteiten worden gebruikt, zoals opslag, werkplaats, kantoor en/of showroom. Daarnaast zijn de parkeerplaatsen voorzien van diverse laadpunten voor elektrisch vervoer, gerealiseerd door de huidige huurder en deze worden ter overname aangeboden, ideaal voor een modern en duurzaam wagenpark.
BOUWJAAR/BOUWPERIODE
2020.
LOCATIE
De Mainport is gelegen aan de Boeingavenue op kantoren-/bedrijventerrein StarParc op Schiphol-Rijk. Schiphol-Rijk is strategisch gelegen aan de N196 en N201 en heeft een goede uitstraling met veel groen en water. Het terrein is uitstekend bereikbaar per auto via de snelwegen A4, A5, A44 en A9. Hoofddorp en Aalsmeer zijn eenvoudig bereikbaar via de N196 en N201. Schiphol-Oost en Amstelveen zijn snel bereikbaar via de Fokkerweg (N232). Bloemenveiling FloraHolland, Greenpark Aalsmeer en de Luchthaven Schiphol bevinden zich op enkele autominuten afstand. Per openbaar vervoer is het complex goed bereikbaar via diverse bushaltes op loopafstand, met uitstekende verbindingen naar onder andere de luchthaven Schiphol.
KADASTRALE GEGEVENS
• Bedrijfsunit: Gemeente Haarlemmermeer, sectie AK, nummer 3277, perceeloppervlakte 105 m² (recht van eigendom) met het 40/1.171e onverdeeld aandeel in mandelig terrein
• 7 parkeerplaatsen: Gemeente Haarlemmermeer, sectie AK, nummer 3291, perceeloppervlakte 93 m² (recht van eigendom) met het 21/1.171e onverdeeld aandeel in mandelig terrein
• 7 parkeerplaatsen: Gemeente Haarlemmermeer, sectie AK, nummer 3293, perceeloppervlakte 89 m² (recht van eigendom) met het 21/1.171e onverdeeld aandeel in mandelig terrein
Het mandelige terrein is bekend als Gemeente Haarlemmermeer, sectie AK, nummer 3503.
BESTEMMINGSPLAN
Bedrijf tot en met categorie 2 conform bestemmingsplan ‘Schiphol-Rijk 1e wijziging’.
ENERGIELABEL
Het object beschikt over energielabel A++ (geldig tot 07-09-2030).
VLOEROPPERVLAKTE
Voor de verhuur/verkoop is beschikbaar:
• Begane grond: ca. 100 m² bedrijfsruimte
• 1e verdieping: ca. 100 m² kantoorruimte
• Totaal: ca. 200 m² b.v.o.
Er is een NEN 2580 meetrapport aanwezig.
PARKEREN
Tot het object behoren 3 vaste parkeerplaatsen op mandelig terrein en 14 separate parkeerplaatsen op eigen terrein. De parkeerplaatsen grenzen praktisch aan het object wat enorme voordelen oplevert. Dit is een unieke mogelijkheid voor bedrijven die een bovengemiddeld aantal parkeerplaatsen nodig hebben.
VOORZIENINGEN BEGANE GROND
Het object wordt in de huidige staat (“as is, where is”) opgeleverd voorzien van onder andere:
• Handmatig bedienbare overheaddeur (ca. 3,00 x 3,40 m.)
• Separate loopdeur met toegang tot entreehal met meterkast en dichte trap naar 1e verdieping
• Glad en gecoate betonvloer met een maximale vloerbelasting ca. 2.000 kg/m²
• Toiletruimte met fontein
• 2 Koud water tappunten
• Diverse wandcontactdozen
• Plafond airco unit t.b.v. verwarmen en koelen
• Verlichtingsarmaturen (led)
• Vrije hoogte ca. 3,75 meter
• Serverruimte
VOORZIENINGEN EERSTE VERDIEPING
• Afsluitbare entreehal bovenaan de trap
• Gestuukte en geschilderde wanden
• Tegel vloerafwerking
• Maximale vloerbelasting ca. 400 kg/m
• Aansluitingen voor elektra en data
• Luxe pantry voorzien van spoelbak, Quooker kraan en vaatwasser
• Te openen ramen
• 2 plafond airco units t.b.v. verwarmen en koelen
• Systeemplafonds met ledverlichting
• Te openen dakkoepel
• 12 zonnepanelen
VOORZIENINGEN BUITENTERREIN
• Verhard buitenterrein
• Gevelverlichting
NUTSVOORZIENINGEN
Het object beschikt over aansluitingen voor water en elektra. In geval van huur dient de huurder zelf leveringscontracten af te sluiten. Er is een glasvezelaansluiting aanwezig.
HUURPRIJS
€ 3.400,- per maand te vermeerderen met servicekosten en BTW.
SERVICEKOSTEN
€ 200,- per maand te vermeerderen met BTW.
HUURVOORWAARDEN
• Huurtermijn: minimaal 3 jaar met telkens een verlengingsmogelijkheid. Afwijkende huurperioden zijn bespreekbaar.
• Opzegtermijn: 6 maanden, doch afhankelijk van de overeen te komen huurperioden.
• Betalingen: per maand vooruit.
• BTW: de verhuurder opteert voor BTW-belaste verhuur.
• Zekerheidsstelling: bankgarantie of waarborgsom ter grootte van drie maanden huur inclusief servicekosten en BTW.
• Huurprijsaanpassing: jaarlijks, voor het eerst één jaar na de huuringangsdatum, op basis van de wijziging van het maandprijsindexcijfer volgens de consumentenprijsindex (CPI) reeks alle huishoudens (2015=100), gepubliceerd door het Centraal Bureau voor de Statistiek (CBS).
• Huurovereenkomst: gebaseerd op het model zoals in 2015 is vastgesteld door de Raad voor Onroerende Zaken (ROZ).
• Aanvaarding/oplevering: in overleg, op korte termijn beschikbaar.
VRAAGPRIJS
Op aanvraag.
BEHEERVERENIGING
Naam: Coöperatie van eigenaren ‘De Mainport’ U.A.
Bijdrage: € 524,- per kwartaal (2025)
KOOPVOORWAARDEN
• BTW: het betreft een BTW-belaste verkoop.
• Zekerheidsstelling: waarborgsom ter grootte van 10% van de koopsom te voldoen bij de notaris binnen twee weken na ondertekening van de koopovereenkomst.
• Notaris: ter keuze van koper.
• Erfdienstbaarheden, kwalitatieve bedingen en/of bijzondere verplichtingen: zoals vermeld in de eigendomsakte. Op aanvraag beschikbaar.
• Aanvaarding/oplevering: in overleg, op korte termijn beschikbaar.
VOORBEHOUD
Definitieve goedkeuring en gunning door eigenaar.
DISCLAIMER
De vermelde informatie is van algemene aard en is niet meer dan een uitnodiging om in onderhandeling te treden. Bezichtigingen vinden uitsluitend op afspraak plaats. Aan de inhoud van deze zorgvuldig samengestelde informatie kunnen geen rechten worden ontleend.
Features
Transfer of ownership
- Asking price
- Price on request
- Rental price
- € 3,400 per month
- Service charges
- € 200 per month (21% VAT applies)
- Listed since
-
- Status
- Available
- Acceptance
- Available in consultation
Construction
- Main use
- Industrial unit
- Building type
- Resale property
- Year of construction
- 2020
Surface areas
- Area
- 200 m² (units from 100 m²)
- Industrial unit area
- 100 m²
- Office area
- 100 m²
- Clearance
- 3.8 m
- Maximum load
- 2,000 kg/m²
- Plot size
- 287 m²
Layout
- Number of floors
- 1 floor
- Facilities
- Air conditioning, rooflights, overhead doors, concrete floor, toilet, pantry and windows can be opened
Energy
- Energy label
- A++
Surroundings
- Location
- Business park
Parking
- Parking spaces
- 17 uncovered parking spaces
Real estate agent
Photos














Floorplan
Begane Grond

Eerste Verdieping
