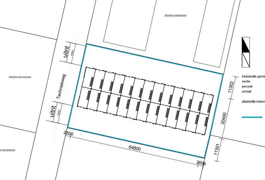
Techniekweg 7 4301 RT Zierikzee
- Sold under reservation
€ 125,000 v.o.n.
Part of
Techniekweg 7, Zierikzee
Description
Namens onze opdrachtgever mag Neeskens Bedrijfsmakelaars deze 26 nieuwbouw bedrijfsunits te koop aanbieden. Het plan bestaat uit 26 units en een ruim gemeenschappelijk buitenterrein. De units worden gebouwd aan de Techniekweg in Zierikzee op het bedrijventerrein ‘Straalweg 2’. Een perfecte locatie om uw bedrijf te vestigen of om uw bestaande bedrijfsvoering van extra ruimte te voorzien.
Kenmerken:
- Oppervlakte begane grond ca. 48 m².
- Standaard verdiepingsvloer meegeleverd ca. 44 m². Door uitsparing van de trap minder m². De opgegeven m² zijn circa en kunnen per unit qua bouw iets afwijken.
- 26 hoogwaardige bedrijfsunits.
- Gelegen op bedrijventerrein Straalweg 2.
- Zowel bedrijfs-/opslagfunctie als combinatie bedrijf/kantoor.
- Oplevering inclusief trap en meterkast.
- Volledig geïsoleerd.
- Parkeren op gemeenschappelijk terrein.
- Onderheide fundering en vloeren.
- Eigen elektra- en wateraansluiting.
- Zeer degelijke betonbouw goede brandwerendheid en geluidisolatie.
Locatie:
Het bedrijventerrein Straalweg 2 in Zierikzee heeft een goede verbinding met de wegen N59, N57 en N256. De N59 geeft ontsluiting naar de Randstad en via de Zeelandbrug en de N256 zijn Goes, Vlissingen en Antwerpen goed bereikbaar. Het centrum van Zierikzee, met een regiofunctie voor Schouwen-Duiveland, ligt op enkele autominuten afstand. Op het bedrijventerrein zijn diverse bedrijven en kantoren gevestigd van zowel lokale als internationale ondernemingen.
Bestemming:
Het bestemmingsplan van bedrijventerrein Zierikzee 2014 (d.d. 26 juni 2014) is van toepassing. Op deze locatie mogen bedrijven gevestigd worden met een bedrijfsactiviteit t/m categorie 4.1 en gedeeltelijk 4.2 Koper is zelf verantwoordelijk na te gaan bij het bevoegd gezag of het door hem gewenste gebruik op de locatie is toegestaan. Particulier gebruik voor privédoeleinden is niet toegestaan.
Koopprijzen:
Onderstaand een overzicht van de koopprijzen excl. btw en v.o.n.
Hoekunits kop: 70007 en 70025 € 125.000,- v.o.n. excl. btw.
Tussenunits: 70001 t/m 70011 en 70014 t/m 70024 € 115.000,- v.o.n. excl. btw.
Hoekunits achter: 70012 en 70013 € 120.000,- v.o.n. excl. btw.
Fiscaliteiten:
Alle prijzen zijn v.o.n. en exclusief btw. Dit houdt in dat de notariskosten voor de akte van levering zijn inbegrepen. De eventuele kosten voor het inschrijven van een akte van hypotheek zijn voor rekening van koper. Er is geen overdrachtsbelasting van toepassing. Wel zijn de prijzen exclusief btw. Indien er aangekocht wordt door een BV dient koper rekening te houden met extra kosten van ca. € 350,- euro voor extra werkzaamheden door de notaris.
De bouw:
De bouw zal starten zodra 60% verkocht is.
VvE:
Er zal een VvE worden opgericht. Naar verwachting zullen hiervoor de maandelijkse kosten ca. € 60,- per maand bedragen. Hierin is ook opgenomen de opstalverzekering van het gebouw.
Ook is er een concept huishoudelijk regelement aanwezig welke door de VVE zal worden goedgekeurd.
Nuts:
De units worden voorzien van een eigen elektra- en wateraansluiting met een volledig eigen meter. 3x25 A aansluiting.
Koopovereenkomst:
De koopovereenkomst is bindend boven de verkoopinformatie. Bij aankoop en het tekenen van de koopovereenkomst zal een waarborgsom worden gesteld ter grootte van 10% van de koopsom. De juridische levering vindt plaats wanneer het gebouw wind- en waterdicht is; u betaalt dan 90% van de koopsom. De laatste 10% wordt bij oplevering in rekening gebracht.
Staat van oplevering:
Oplevering van het gekochte is, tenzij anders overeengekomen, in casco bouwkundige staat. De units worden geleverd op eigen grond. Het voorterrein wordt ingericht als gemeenschappelijk eigendom.
Foto's
De afgebeelde foto’s zijn van eerder gebouwde units aan de Techniekweg te Zierikzee. De nieuw te bouwen units zullen op vergelijkbare wijze worden gerealiseerd en dienen ter informatie. De reeds gerealiseerde units zijn gelegen aan Techniekweg 9 te Zierikzee, voor de locatie waar de nieuwe units worden gebouwd.
Technische specificaties:
- Onderheide fundering en vloeren.
- Vloerisolatie 100 mm EPS, RC-waarde 3,20.
- Betonvloer 20 cm dik, voorzien van dubbelnetwapening.
- Buitengevels tot 3,50 meter vanaf peil: geïsoleerde betonplinten met een dikte van 250 mm, waarvan 100 mm PIR-isolatie, RC-waarde 5,0. Buitenzijde betonplint voorzien van split antraciet porfier. Binnenzijde stortzijde grijsbeton.
- Buitengevel vanaf 3,50 meter boven peil tot dakrand: geïsoleerde betonplinten met een dikte van 250 mm, waarvan 100 mm PIR-isolatie, RC-waarde 5,0 m²K/W. Buitenzijde beton glad bekist, binnenzijde stortzijde grijsbeton. Aan de buitenzijde op omega-profielen enkelvoudige beplating aanbrengen type Falk Cadens, kleur brons.
- Binnenwanden massief, 14 cm dikke betonwanden uit één lengte van 10 meter, één zijde glad bekist, één zijde stortzijde, kleur beton grijs. Brandwerendheid 90 min.
- Verdiepingsvloer opgebouwd uit betonnen kanaalplaten 15 cm dik, voorzien van één laag wapening en een cementdekvloer van 60 mm dik. Hoogte onderkant verdiepingsvloer 3,50 meter.
- Trapgat voorzien van een raveelijzer, rondom afgewerkt met gerond 18 mm multiplex. Rond trapgat een hekwerk.
- Trap opgebouwd uit trapbomen strip 200x10, aan één zijde een leuning met knieregel, traptreden rooster treden 30x30 verzinkt.
- Dak opgebouwd uit betonnen kanaalplaten 150 mm dik, voorzien van 140 mm PIR-isolatie RC-waarde 6,59 m²K/W platen met EPDM-dakbedekking. Per unit één dakdoorvoer opgenomen. Hoogte verdieping 2,70 meter.
- HWA is verdeeld over de units; aan de deurzijde een HWA-uitloop rond 80 mm, noodoverstorten 300x100.
- Voordeur uit kunststof zwart met blindpaneel, voorzien van knopcilinder en 3-puntsluiting, boven de deur een bovenlicht. RC-waarde 1,2 m²W/K. Sluitwerk 3 sterren SKG Politiekeurmerk.
- Op de verdieping een raam van 4 meter bij 1,20 meter, 1 deel kantel-kiep.
- Sectionaaldeur van 3 meter breed en 3,25 meter hoog, uitgevoerd in de kleur zwart (RAL 9005), elektrisch bediend en voorzien van ontvanger en twee handzenders (2-kanaals), merk ASSA Abloy. Dikte 40 mm, RC-waarde 1,9 m²W/K. In de betonvloer een aanrijhoekstaal verzinkt verwerkt met een klik van 10 mm.
- Installatie: 3x25 A aansluiting, groepenkast 3 fasen, 2x lichtgroep B16, 1x krachtgroep B16, 2x LED TL 150 cm, 1x bewegingssensor, 1x dubbel WCD, 1x CEE-WCD kracht 16 A, 1x buitenverlichting met schemersensor, 1x doorvoer vanaf meterkast naar verdieping, 1x aansluitpunt riool 125 mm onder trap, 1x 16 mm wateraansluiting bij riool.
- Hoofdriool langs gebouw rond 160 mm met Y-punten naar 125 mm per unit aangesloten op gemeentelijk riool.
- HWA-riool langs gebouw rond 160 mm aangesloten op gemeentelijk riool.
- Buitenterrein voorzien van 30 cm Repac en 10 cm asfalt, rondom het terrein opsluitbanden met goten. Langs het gebouw een dubbele strek van zwarte betonstraatklinkers. Het buitenterrein wordt voorzien van voldoende straatkolken.
- Rondom het terrein een hekwerk opgebouwd uit dubbelstaafmatten, hoogte 1,80 meter. Totaal twee schuifpoorten opgenomen, breedte 8 meter, hoogte 1,80 meter. Elektrisch bediend en voorzien van gsm-module.
Algemeen
Al het bovenstaande betreft informatie omtrent de verkoop van Techniekweg 7 te Zierikzee. De informatie is met zorg samengesteld, maar voor de juistheid ervan kan door Neeskens Bedrijfsmakelaardij geen aansprakelijkheid worden aanvaard, noch aan de vermelde gegevens enig recht worden ontleend. Nadrukkelijk is vermeld dat deze informatieverstrekking niet als aanbieding of offerte mag worden beschouwd.
Kenmerken:
- Oppervlakte begane grond ca. 48 m².
- Standaard verdiepingsvloer meegeleverd ca. 44 m². Door uitsparing van de trap minder m². De opgegeven m² zijn circa en kunnen per unit qua bouw iets afwijken.
- 26 hoogwaardige bedrijfsunits.
- Gelegen op bedrijventerrein Straalweg 2.
- Zowel bedrijfs-/opslagfunctie als combinatie bedrijf/kantoor.
- Oplevering inclusief trap en meterkast.
- Volledig geïsoleerd.
- Parkeren op gemeenschappelijk terrein.
- Onderheide fundering en vloeren.
- Eigen elektra- en wateraansluiting.
- Zeer degelijke betonbouw goede brandwerendheid en geluidisolatie.
Locatie:
Het bedrijventerrein Straalweg 2 in Zierikzee heeft een goede verbinding met de wegen N59, N57 en N256. De N59 geeft ontsluiting naar de Randstad en via de Zeelandbrug en de N256 zijn Goes, Vlissingen en Antwerpen goed bereikbaar. Het centrum van Zierikzee, met een regiofunctie voor Schouwen-Duiveland, ligt op enkele autominuten afstand. Op het bedrijventerrein zijn diverse bedrijven en kantoren gevestigd van zowel lokale als internationale ondernemingen.
Bestemming:
Het bestemmingsplan van bedrijventerrein Zierikzee 2014 (d.d. 26 juni 2014) is van toepassing. Op deze locatie mogen bedrijven gevestigd worden met een bedrijfsactiviteit t/m categorie 4.1 en gedeeltelijk 4.2 Koper is zelf verantwoordelijk na te gaan bij het bevoegd gezag of het door hem gewenste gebruik op de locatie is toegestaan. Particulier gebruik voor privédoeleinden is niet toegestaan.
Koopprijzen:
Onderstaand een overzicht van de koopprijzen excl. btw en v.o.n.
Hoekunits kop: 70007 en 70025 € 125.000,- v.o.n. excl. btw.
Tussenunits: 70001 t/m 70011 en 70014 t/m 70024 € 115.000,- v.o.n. excl. btw.
Hoekunits achter: 70012 en 70013 € 120.000,- v.o.n. excl. btw.
Fiscaliteiten:
Alle prijzen zijn v.o.n. en exclusief btw. Dit houdt in dat de notariskosten voor de akte van levering zijn inbegrepen. De eventuele kosten voor het inschrijven van een akte van hypotheek zijn voor rekening van koper. Er is geen overdrachtsbelasting van toepassing. Wel zijn de prijzen exclusief btw. Indien er aangekocht wordt door een BV dient koper rekening te houden met extra kosten van ca. € 350,- euro voor extra werkzaamheden door de notaris.
De bouw:
De bouw zal starten zodra 60% verkocht is.
VvE:
Er zal een VvE worden opgericht. Naar verwachting zullen hiervoor de maandelijkse kosten ca. € 60,- per maand bedragen. Hierin is ook opgenomen de opstalverzekering van het gebouw.
Ook is er een concept huishoudelijk regelement aanwezig welke door de VVE zal worden goedgekeurd.
Nuts:
De units worden voorzien van een eigen elektra- en wateraansluiting met een volledig eigen meter. 3x25 A aansluiting.
Koopovereenkomst:
De koopovereenkomst is bindend boven de verkoopinformatie. Bij aankoop en het tekenen van de koopovereenkomst zal een waarborgsom worden gesteld ter grootte van 10% van de koopsom. De juridische levering vindt plaats wanneer het gebouw wind- en waterdicht is; u betaalt dan 90% van de koopsom. De laatste 10% wordt bij oplevering in rekening gebracht.
Staat van oplevering:
Oplevering van het gekochte is, tenzij anders overeengekomen, in casco bouwkundige staat. De units worden geleverd op eigen grond. Het voorterrein wordt ingericht als gemeenschappelijk eigendom.
Foto's
De afgebeelde foto’s zijn van eerder gebouwde units aan de Techniekweg te Zierikzee. De nieuw te bouwen units zullen op vergelijkbare wijze worden gerealiseerd en dienen ter informatie. De reeds gerealiseerde units zijn gelegen aan Techniekweg 9 te Zierikzee, voor de locatie waar de nieuwe units worden gebouwd.
Technische specificaties:
- Onderheide fundering en vloeren.
- Vloerisolatie 100 mm EPS, RC-waarde 3,20.
- Betonvloer 20 cm dik, voorzien van dubbelnetwapening.
- Buitengevels tot 3,50 meter vanaf peil: geïsoleerde betonplinten met een dikte van 250 mm, waarvan 100 mm PIR-isolatie, RC-waarde 5,0. Buitenzijde betonplint voorzien van split antraciet porfier. Binnenzijde stortzijde grijsbeton.
- Buitengevel vanaf 3,50 meter boven peil tot dakrand: geïsoleerde betonplinten met een dikte van 250 mm, waarvan 100 mm PIR-isolatie, RC-waarde 5,0 m²K/W. Buitenzijde beton glad bekist, binnenzijde stortzijde grijsbeton. Aan de buitenzijde op omega-profielen enkelvoudige beplating aanbrengen type Falk Cadens, kleur brons.
- Binnenwanden massief, 14 cm dikke betonwanden uit één lengte van 10 meter, één zijde glad bekist, één zijde stortzijde, kleur beton grijs. Brandwerendheid 90 min.
- Verdiepingsvloer opgebouwd uit betonnen kanaalplaten 15 cm dik, voorzien van één laag wapening en een cementdekvloer van 60 mm dik. Hoogte onderkant verdiepingsvloer 3,50 meter.
- Trapgat voorzien van een raveelijzer, rondom afgewerkt met gerond 18 mm multiplex. Rond trapgat een hekwerk.
- Trap opgebouwd uit trapbomen strip 200x10, aan één zijde een leuning met knieregel, traptreden rooster treden 30x30 verzinkt.
- Dak opgebouwd uit betonnen kanaalplaten 150 mm dik, voorzien van 140 mm PIR-isolatie RC-waarde 6,59 m²K/W platen met EPDM-dakbedekking. Per unit één dakdoorvoer opgenomen. Hoogte verdieping 2,70 meter.
- HWA is verdeeld over de units; aan de deurzijde een HWA-uitloop rond 80 mm, noodoverstorten 300x100.
- Voordeur uit kunststof zwart met blindpaneel, voorzien van knopcilinder en 3-puntsluiting, boven de deur een bovenlicht. RC-waarde 1,2 m²W/K. Sluitwerk 3 sterren SKG Politiekeurmerk.
- Op de verdieping een raam van 4 meter bij 1,20 meter, 1 deel kantel-kiep.
- Sectionaaldeur van 3 meter breed en 3,25 meter hoog, uitgevoerd in de kleur zwart (RAL 9005), elektrisch bediend en voorzien van ontvanger en twee handzenders (2-kanaals), merk ASSA Abloy. Dikte 40 mm, RC-waarde 1,9 m²W/K. In de betonvloer een aanrijhoekstaal verzinkt verwerkt met een klik van 10 mm.
- Installatie: 3x25 A aansluiting, groepenkast 3 fasen, 2x lichtgroep B16, 1x krachtgroep B16, 2x LED TL 150 cm, 1x bewegingssensor, 1x dubbel WCD, 1x CEE-WCD kracht 16 A, 1x buitenverlichting met schemersensor, 1x doorvoer vanaf meterkast naar verdieping, 1x aansluitpunt riool 125 mm onder trap, 1x 16 mm wateraansluiting bij riool.
- Hoofdriool langs gebouw rond 160 mm met Y-punten naar 125 mm per unit aangesloten op gemeentelijk riool.
- HWA-riool langs gebouw rond 160 mm aangesloten op gemeentelijk riool.
- Buitenterrein voorzien van 30 cm Repac en 10 cm asfalt, rondom het terrein opsluitbanden met goten. Langs het gebouw een dubbele strek van zwarte betonstraatklinkers. Het buitenterrein wordt voorzien van voldoende straatkolken.
- Rondom het terrein een hekwerk opgebouwd uit dubbelstaafmatten, hoogte 1,80 meter. Totaal twee schuifpoorten opgenomen, breedte 8 meter, hoogte 1,80 meter. Elektrisch bediend en voorzien van gsm-module.
Algemeen
Al het bovenstaande betreft informatie omtrent de verkoop van Techniekweg 7 te Zierikzee. De informatie is met zorg samengesteld, maar voor de juistheid ervan kan door Neeskens Bedrijfsmakelaardij geen aansprakelijkheid worden aanvaard, noch aan de vermelde gegevens enig recht worden ontleend. Nadrukkelijk is vermeld dat deze informatieverstrekking niet als aanbieding of offerte mag worden beschouwd.
Features
Transfer of ownership
- Asking price
- € 125,000 vrij op naam
- Listed since
-
- Status
- Sold under reservation
- Acceptance
- Available in consultation
Construction
- Main use
- Industrial unit
- Building type
- Resale property
- Year of construction
- Currently under construction
Surface areas
- Area
- 92 m²
- Industrial unit area
- 92 m²
- Plot size
- 3,086 m²
Layout
- Facilities
- Overhead doors and concrete floor
Energy
- Energy label
- Not available
Surroundings
- Location
- Business park
- Accessibility
- Bus stop in 500 m to 1000 m and Dutch Railways Intercity station in 1000 m to 1500 m
Real estate agent
Photos