Hoofdmenu
Funda in business
  • Inloggen

    Inloggen

Plaats, buurt, adres, etc.

Bedoel je misschien...

Geen resultaten, probeer wat anders...

Uw zoekopdracht is bewaard. Onder 'Account' vindt u het nieuwe aanbod.

Helaas is er iets fout gegaan. De laatste wijzingen in uw zoekopdracht zijn niet opgeslagen. Probeer het later nogmaals.

Filters

Uw zoekopdracht is bewaard. Onder 'Account' vindt u het nieuwe aanbod.

Helaas is er iets fout gegaan. De laatste wijzingen in uw zoekopdracht zijn niet opgeslagen. Probeer het later nogmaals.

1 filter
Houd me op de hoogte

Bewaar uw zoekopdracht om notificaties van nieuwe zoekresultaten te ontvangen.

Actieve filters
Prijs
€
€
€
€
€
€
€
€
Oppervlakte
Soort agrarisch bedrijf
  • Sluiten
    Soort tuinbouwbedrijf
    • 0 Resultaten
    • 0 Resultaten
    • 0 Resultaten
    • 0 Resultaten
    • Sluiten
      Soort varkenshouderij
      • 0 Resultaten
      • 0 Resultaten
      • 0 Resultaten
      • Sluiten
        Soort pluimveebedrijf
        • 0 Resultaten
        • 0 Resultaten
        • 0 Resultaten
        Sluiten
        Grondsoort
        • 0 Resultaten
        • 0 Resultaten
        • 0 Resultaten
        • 1 Resultaten
        • 0 Resultaten
          Sluiten
          Aanwezigheid van
          • 1 Resultaten
            Sluiten
            Beschikbaarheid
            • 0 Resultaten
              Sluiten
              Open dag
              • 0 Resultaten
              • 0 Resultaten
              • 0 Resultaten
              Veiling
              • 0 Resultaten
              • 0 Resultaten
              • 0 Resultaten
              • 0 Resultaten
              Uitgelicht
              • 0 Resultaten
                Dagen op funda in business
                Zoek in omschrijving

                2 agrarische bedrijven
                in Erp

                1 filter
                Lijst Kaart Kaartopties
                Langer dan 6 maanden
                  • Verkocht
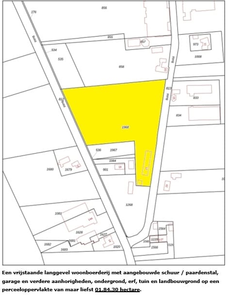
                  Bolst 21, Erp

                  Bolst 21, Erp

                  Overig

                  € 719.000 k.k.
                  Arvalis
                  • Verkocht
                  Meerbosweg 7-a, Erp

                  Meerbosweg 7-a, Erp

                  Vleeskalverenbedrijf

                  Prijs op aanvraag
                  • 1,36 ha
                  Van den Berk & Kerkhof Makelaars en Taxateurs

                Altijd als eerste op de hoogte van het nieuwste aanbod?

                Altijd als eerste op de hoogte van het nieuwste aanbod?

                2 agrarische bedrijven

                ↑ Naar bovenkant van de pagina
                Pagina 1

                Agrarische bedrijven in Erp

                Zoekt u agrarische bedrijven verkocht en verhuurd in Erp? Op funda in business vindt u het meest complete aanbod met 2 agrarische bedrijven verkocht en verhuurd.

                Agrarische bedrijven in Erp

                • Akkerbouwbedrijven in Erp
                • Melkveehouderijen in Erp
                • Paardenhouderijen in Erp
                • Tuinbouwbedrijven in Erp
                • Pluimveehouderijen in Erp
                • Boerderijen in Erp

                Bedrijfsmakelaars in Erp

                • Aankoopmakelaars in Erp
                • Verkoopmakelaars in Erp
                • Aanhuurmakelaars in Erp
                • Verhuurmakelaars in Erp
                Snel naar
                • Zoek een bedrijfsmakelaar
                • Blader door al het aanbod
                Informatie
                • Vraag & antwoord
                Voor makelaars
                • Meld je aan bij funda in business
                • Plaats en promoot objecten
                • Promoot je kantoor
                • Verbreed je kennis
                • Inloggen funda desk
                Meer funda in business
                • Over funda in business
                • Werken bij funda
                • Voor adverteerders
                • Contact

                © 2001-2026 funda

                • • Privacy
                • • Cookies
                • • Voorwaarden
                • •

                Fout bij het laden van de pagina. Probeer het opnieuw.