Omschrijving
Te koop bij inschrijving:
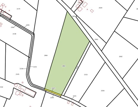
Twee percelen cultuurgrond van 1.71.56 ha groot; goede ontsluiting via de openbare weg.
De percelen zijn kadastraal bekend gemeente Epe en Oene, sectie K, nummer 1965 en 2227.
De cultuurgrond is de afgelopen jaren in gebruik geweest als grasland.
Het vigerende bestemmingsplan is het Bestemmingsplan Buitengebied Epe van de gemeente Epe van 23 maart 2017. De bestemmingsvlakken staan bekend als ‘Agrarisch’. De gebiedsaanduidingen zijn: ‘overige zone - natte heideontginningen'.
Agriteam makelaars en taxateurs biedt het perceel aan in een verkoop bij inschrijving op vrijdag 17 april 2026. Uw bieding is tot 12.00 uur welkom. U kunt het perceel zelf bezichtigen. Via het kantoor van Agriteam zijn het inschrijfformulier en de voorwaarden voor de verkoop bij inschrijving op te vragen.
De gunning is voorbehouden aan verkoper. Aanvaarding: in overleg.
Twee percelen cultuurgrond van 1.71.56 ha groot; goede ontsluiting via de openbare weg.
De percelen zijn kadastraal bekend gemeente Epe en Oene, sectie K, nummer 1965 en 2227.
De cultuurgrond is de afgelopen jaren in gebruik geweest als grasland.
Het vigerende bestemmingsplan is het Bestemmingsplan Buitengebied Epe van de gemeente Epe van 23 maart 2017. De bestemmingsvlakken staan bekend als ‘Agrarisch’. De gebiedsaanduidingen zijn: ‘overige zone - natte heideontginningen'.
Agriteam makelaars en taxateurs biedt het perceel aan in een verkoop bij inschrijving op vrijdag 17 april 2026. Uw bieding is tot 12.00 uur welkom. U kunt het perceel zelf bezichtigen. Via het kantoor van Agriteam zijn het inschrijfformulier en de voorwaarden voor de verkoop bij inschrijving op te vragen.
De gunning is voorbehouden aan verkoper. Aanvaarding: in overleg.
Kaart
Kaart laden...
Kadastrale grens
Bebouwing
Reistijd
Krijg inzicht in de bereikbaarheid van dit object vanuit bijvoorbeeld een openbaar vervoer station of vanuit een adres.