• Verkocht

Ommerkanaal Oost 7731 Ommen

Verkoop bij inschrijving

Verkoopgeschiedenis

Aangeboden sinds
13 april 2026

Omschrijving

DE VERKOOP IS BIJ INSCHRIJVING
Uiterlijke biedingsdatum is woensdag 6 mei om 12:00 uur.

Enkele percelen landbouwgrond, groot ca. 7.1 Ha
welke gelegen zijn aan Ommerkanaal Oost te Ommen
(achter huisperceel nr. 16)

Uitmeting door kadaster zal nog plaatsvinden.
Verkoop is in één geheel. Er is rechtstreeks uitweg naar de openbare weg.

Grondsoort is: Veldpodzolgronden; leemarm en zwak lemig fijn zand.

Inschrijvingsformulieren en informatie via
of neem telefonisch contact op via 0522- 462844.

Kenmerken

Overdracht

Laatste vraagprijs
Verkoop bij inschrijving
Aangeboden sinds
Status
Verkocht

Bouw

Hoofdfunctie
Losse grond

Oppervlakten

Type land
Bouwland
Grondsoort
Zand

Kadastrale gegevens

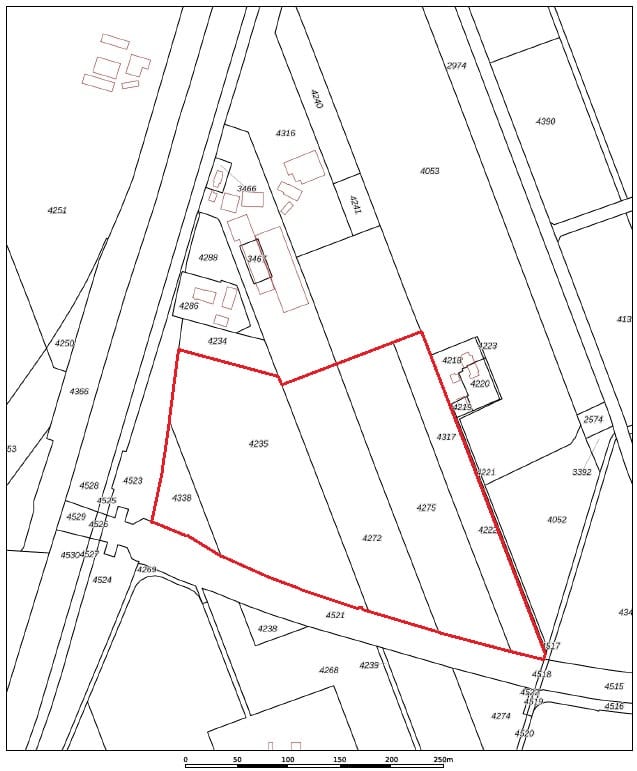
STAD-OMMEN A 4235
Kadastrale kaart
Eigendomssituatie
2 ha 55 a 72 ca (geheel perceel)
STAD-OMMEN A 4338
Eigendomssituatie
0 ha 34 a 30 ca (geheel perceel)
STAD-OMMEN A 4272
Eigendomssituatie
1 ha 35 a 0 ca (deelperceel)
STAD-OMMEN A 4275
Eigendomssituatie
1 ha 74 a 75 ca (geheel perceel)
STAD-OMMEN A 4317
Eigendomssituatie
1 ha 10 a 0 ca (deelperceel)

Betrokken makelaar

Kaart

Kaart laden...

Kadastrale grens Bebouwing

Reistijd

Krijg inzicht in de bereikbaarheid van dit object vanuit bijvoorbeeld een openbaar vervoer station of vanuit een adres.