Verkoopgeschiedenis
- Aangeboden sinds
- 22 december 2025
Omschrijving
VERKOOP BIJ INSCHRIJVING
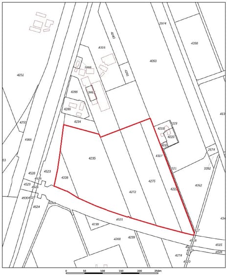
Omschrijving: Percelen cultuurgrond gelegen aan de 1e Schansweg te Vinkenbuurt;
Oppervlakte: 10.64.62 ha;
Kadastrale aanduiding:
Gemeente Avereest, sectie G, nummer 2228, groot 06.16.30 ha;
Gemeente Avereest, sectie G, nummer 3348, groot 03.73.52 ha;
Gemeente Stad-Ommen, sectie A, nummer 3484, groot 00.09.25 ha;
Gemeente Stad-Ommen, sectie A, nummer 3487, groot 00.02.45 ha;
Gemeente Stad-Ommen, sectie A, nummer 3662, groot 00.63.10 ha;
Ruilverkaveling: Niet van toepassing;
Productierechten: Niet van toepassing;
Uitbetalingsrechten: Niet van toepassing;
Natura2000: Niet van toepassing;
Bestemmingsplan: deels Enkelbestemming Agrarisch en deels Agrarisch met waarden – Besloten
veenontginningslandschap, dubbelbestemmingen Waarde – Beschermd dorpsgezicht en Waarde - archeologische verwachting 2
Bodem: Veldpodzolgronden; leemarm en zwak lemig fijn zand;
Inschrijfstukken zijn op te vragen bij ons kantoor. Inschrijven kan tot uiterlijk 15 januari 2026 - 12.00 uur.
Omschrijving: Percelen cultuurgrond gelegen aan de 1e Schansweg te Vinkenbuurt;
Oppervlakte: 10.64.62 ha;
Kadastrale aanduiding:
Gemeente Avereest, sectie G, nummer 2228, groot 06.16.30 ha;
Gemeente Avereest, sectie G, nummer 3348, groot 03.73.52 ha;
Gemeente Stad-Ommen, sectie A, nummer 3484, groot 00.09.25 ha;
Gemeente Stad-Ommen, sectie A, nummer 3487, groot 00.02.45 ha;
Gemeente Stad-Ommen, sectie A, nummer 3662, groot 00.63.10 ha;
Ruilverkaveling: Niet van toepassing;
Productierechten: Niet van toepassing;
Uitbetalingsrechten: Niet van toepassing;
Natura2000: Niet van toepassing;
Bestemmingsplan: deels Enkelbestemming Agrarisch en deels Agrarisch met waarden – Besloten
veenontginningslandschap, dubbelbestemmingen Waarde – Beschermd dorpsgezicht en Waarde - archeologische verwachting 2
Bodem: Veldpodzolgronden; leemarm en zwak lemig fijn zand;
Inschrijfstukken zijn op te vragen bij ons kantoor. Inschrijven kan tot uiterlijk 15 januari 2026 - 12.00 uur.
Betrokken makelaar
Kaart
Kaart laden...
Kadastrale grens
Bebouwing
Reistijd
Krijg inzicht in de bereikbaarheid van dit object vanuit bijvoorbeeld een openbaar vervoer station of vanuit een adres.