Omschrijving
Te huur bedrijfsruimte
Olof Palmelaan 3 E, 2729 NA Zoetermeer
ALGEMEEN
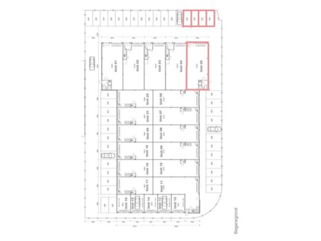
Olof Palmelaan 3 E, 2729 NA te Zoetermeer is gelegen op bedrijventerrein Oosterhage. Het gebouw "Olofhage" is gerealiseerd aan de Olof Palmelaan en omvat 17 bedrijfsunits en 5 opslagboxen
Bedrijventerrein Oosterhage ligt aan de zuid- en oostzijde van Oosterheem, tussen de rand van de woonbebouwing en de Australiëweg en de Nieuw Hoefweg. Het terrein vormt een buffer tussen de woonwijk en de Australiëweg.
KADASTRALE GEGEVENS
Gemeente : Zegwaard
Sectie : E
Nummer : 2333 A5
Bouwjaar : 2017
BESTEMMING
De bestemming van de Olof Palmelaan 3E is "bedrijventerrein"
Bestemmingsplan Bedrijventerrein Oosterhage / Businesspark Oosterheem
Planstatus: onherroepelijk 16-08-2013
Overheid: gemeente Zoetermeer
Enkelbestemming: bedrijventerrein
INDELING EN OPLEVERINGSNIVEAU
Olof Palmelaan 3E beschikt over twee bouwlagen, als volgt ingedeeld:
- begane grond : ca. 102 m² bvo bedrijfsruimte
- eerste verdieping : ca. 102 m² bvo thans ingericht als kantoor.
Het pand beschikt over 4 eigen parkeerplaatsen.
Het object wordt opgeleverd met onder andere de volgende voorzieningen:
bedrijfsruimte/begane grond
- gevlinderde betonvloer
- separate toegang en entree
- vloerbelasting 1.500 kg/m²
- vrije hoogte ca. 4,5 m¹
- elektrische overheaddeur met een hoogte van ca. 4,0 m¹
- goede vloer-, gevel- en dakisolatie
- hardhouten kozijnen
- aluminium vliesgevel
kantoorruimte/verdieping
- vloerbelasting 350 kg/m²
- systeemplafonds + verlichtingsarmaturen
- radiatoren
- electrisch bedienbare screens
- pantry met close-in-boiler
- te openen ramen met dubbel glas
- huidige pvc vloer
- airconditioning
HUURCONDITIES
Huurprijs : € 2.350, - per maand excl. BTW
(Huurprijs : € 28.200, - per jaar excl. BTW)
Huurtermijn : 5 jaar + 5 jaar optioneel
Huuringangsdatum : in overleg
Huurprijsindexatie : de huurprijs wordt jaarlijks geïndexeerd op basis van het Consumenten Prijsindexcijfer (CPI), reeks Alle huishoudens (2015=100) van het CBS. Voor het eerst een jaar na de huuringangsdatum
Huurprijsbetaling : per maand vooruit
Servicekosten : € 100,- per maand excl. BTW als voorschot voor de kosten van:
- vaste bijdrage VvE
- onderhoud airconditioning
- jaarlijkse inspectie en onderhoud overheaddeur
- onderhoud cv-ketel
Huurder dient zelf contracten af te sluiten met de nutsbedrijven inzake de levering van gas, water en elektra.
Bankgarantie : gelijk aan 3 maanden huur + 3 maanden servicekosten + BTW
Contract : model door de Raad voor Onroerende Zaken (ROZ) op 5 maart 2025 vastgesteld en het model is tevens gepubliceerd op de website inclusief aanvullende bepalingen verhuurder. Daarnaast is het huishoudelijk reglement en de akte van splitsing van toepassing.
Voorbehoud : goedkeuring directie verhuurder/ positief bedrijfsinformatierapport; ter beoordeling van verhuurder.
BTW
Verhuurder wenst te opteren voor BTW-belaste huur en verhuur. Ingeval huurder de BTW niet kan verrekenen zal de huurprijs worden verhoogd ter compensatie van de gevolgen van het vervallen van de mogelijkheid om te opteren voor BTW-belaste huur.
Energielabel : A
Algemeen : de informatie betreffende de bedrijfsruimte aan de Olof Palmelaan 3 E, 2729 NA Zoetermeer is met zorg samengesteld. Voor de juistheid daarvan kan door Hopman en Schreuder Bedrijfshuisvesting BV geen aansprakelijkheid worden aanvaard, noch kan aan de vermelde gegevens enig recht worden ontleend. Alle opgegeven oppervlakten en afmetingen zijn indicatief. Deze informatie dient slechts als uitnodiging om in onderhandeling te treden en kan derhalve niet worden beschouwd als een aanbod of offerte. Van toepassing zijn de NVM voorwaarden.
Olof Palmelaan 3 E, 2729 NA Zoetermeer
ALGEMEEN
Olof Palmelaan 3 E, 2729 NA te Zoetermeer is gelegen op bedrijventerrein Oosterhage. Het gebouw "Olofhage" is gerealiseerd aan de Olof Palmelaan en omvat 17 bedrijfsunits en 5 opslagboxen
Bedrijventerrein Oosterhage ligt aan de zuid- en oostzijde van Oosterheem, tussen de rand van de woonbebouwing en de Australiëweg en de Nieuw Hoefweg. Het terrein vormt een buffer tussen de woonwijk en de Australiëweg.
KADASTRALE GEGEVENS
Gemeente : Zegwaard
Sectie : E
Nummer : 2333 A5
Bouwjaar : 2017
BESTEMMING
De bestemming van de Olof Palmelaan 3E is "bedrijventerrein"
Bestemmingsplan Bedrijventerrein Oosterhage / Businesspark Oosterheem
Planstatus: onherroepelijk 16-08-2013
Overheid: gemeente Zoetermeer
Enkelbestemming: bedrijventerrein
INDELING EN OPLEVERINGSNIVEAU
Olof Palmelaan 3E beschikt over twee bouwlagen, als volgt ingedeeld:
- begane grond : ca. 102 m² bvo bedrijfsruimte
- eerste verdieping : ca. 102 m² bvo thans ingericht als kantoor.
Het pand beschikt over 4 eigen parkeerplaatsen.
Het object wordt opgeleverd met onder andere de volgende voorzieningen:
bedrijfsruimte/begane grond
- gevlinderde betonvloer
- separate toegang en entree
- vloerbelasting 1.500 kg/m²
- vrije hoogte ca. 4,5 m¹
- elektrische overheaddeur met een hoogte van ca. 4,0 m¹
- goede vloer-, gevel- en dakisolatie
- hardhouten kozijnen
- aluminium vliesgevel
kantoorruimte/verdieping
- vloerbelasting 350 kg/m²
- systeemplafonds + verlichtingsarmaturen
- radiatoren
- electrisch bedienbare screens
- pantry met close-in-boiler
- te openen ramen met dubbel glas
- huidige pvc vloer
- airconditioning
HUURCONDITIES
Huurprijs : € 2.350, - per maand excl. BTW
(Huurprijs : € 28.200, - per jaar excl. BTW)
Huurtermijn : 5 jaar + 5 jaar optioneel
Huuringangsdatum : in overleg
Huurprijsindexatie : de huurprijs wordt jaarlijks geïndexeerd op basis van het Consumenten Prijsindexcijfer (CPI), reeks Alle huishoudens (2015=100) van het CBS. Voor het eerst een jaar na de huuringangsdatum
Huurprijsbetaling : per maand vooruit
Servicekosten : € 100,- per maand excl. BTW als voorschot voor de kosten van:
- vaste bijdrage VvE
- onderhoud airconditioning
- jaarlijkse inspectie en onderhoud overheaddeur
- onderhoud cv-ketel
Huurder dient zelf contracten af te sluiten met de nutsbedrijven inzake de levering van gas, water en elektra.
Bankgarantie : gelijk aan 3 maanden huur + 3 maanden servicekosten + BTW
Contract : model door de Raad voor Onroerende Zaken (ROZ) op 5 maart 2025 vastgesteld en het model is tevens gepubliceerd op de website inclusief aanvullende bepalingen verhuurder. Daarnaast is het huishoudelijk reglement en de akte van splitsing van toepassing.
Voorbehoud : goedkeuring directie verhuurder/ positief bedrijfsinformatierapport; ter beoordeling van verhuurder.
BTW
Verhuurder wenst te opteren voor BTW-belaste huur en verhuur. Ingeval huurder de BTW niet kan verrekenen zal de huurprijs worden verhoogd ter compensatie van de gevolgen van het vervallen van de mogelijkheid om te opteren voor BTW-belaste huur.
Energielabel : A
Algemeen : de informatie betreffende de bedrijfsruimte aan de Olof Palmelaan 3 E, 2729 NA Zoetermeer is met zorg samengesteld. Voor de juistheid daarvan kan door Hopman en Schreuder Bedrijfshuisvesting BV geen aansprakelijkheid worden aanvaard, noch kan aan de vermelde gegevens enig recht worden ontleend. Alle opgegeven oppervlakten en afmetingen zijn indicatief. Deze informatie dient slechts als uitnodiging om in onderhandeling te treden en kan derhalve niet worden beschouwd als een aanbod of offerte. Van toepassing zijn de NVM voorwaarden.
Kaart
Kaart laden...
Kadastrale grens
Bebouwing
Reistijd
Krijg inzicht in de bereikbaarheid van dit object vanuit bijvoorbeeld een openbaar vervoer station of vanuit een adres.