Omschrijving
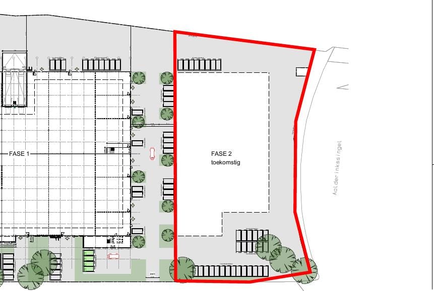
Gelegen op een hoeklocatie van de Aalderinkssingel en de César Franckstraat te Almelo bieden wij deze royale bouwkavel van 7.143 m² aan voor de verkoop. De bouwkavel is uitstekend bereikbaar en mag conform het bestemmingsplan tot 70% worden bebouwd.
Oppervlakte
De totale oppervlakte van de kavel bedraagt 7.143 m².
Kadastrale gegevens
Gemeente Ambt-Almelo
Sectie A
Nummer 7559
Grootte 7.143 m²
Locatie
De bouwkavel ligt ten noorden van het centrum van Almelo tussen de woonwijk Aalderinkshoek en bedrijventerrein Turfkade Oost en is uitstekend bereikbaar. Op de naast gelegen kavel staat een nieuw, in 2024 gerealiseerd, bedrijfsverzamelgebouw.
Bereikbaarheid
De locatie is zowel met eigen als met openbaar vervoer uitstekend bereikbaar. De Rijksweg A35 is gelegen op circa 7 minuten rijafstand en de dichtstbijzijnde bushalte is gelegen op circa 1 minuut lopen.
Bestemmingsplan
Gelegen in bestemmingsplan 'Aalderinkshoek' met als enkelbestemming 'Bedrijf'.
De kavel beschikt over de bestemming 'Bedrijf' en mag conform het bestemmingsplan tot 70% worden bebouwd, met een maximale bouwhoogte van 8 meter.
Vraagprijs
€ 225,- per m², te vermeerderen met BTW.
Zekerheidsstelling
Waarborgsom ter grootte van 10% van de koopsom.
Aanvaarding
In overleg.
Voorbehoud
Definitieve goedkeuring opdrachtgever en/of verkoper.
Informatie
Wij hebben getracht middels deze zorgvuldig samengestelde documentatie je zo uitgebreid mogelijk te informeren. Desondanks kunnen hieraan geen rechten worden ontleend. Slechts de feitelijke situatie geeft je een juist beeld.
Oppervlakte
De totale oppervlakte van de kavel bedraagt 7.143 m².
Kadastrale gegevens
Gemeente Ambt-Almelo
Sectie A
Nummer 7559
Grootte 7.143 m²
Locatie
De bouwkavel ligt ten noorden van het centrum van Almelo tussen de woonwijk Aalderinkshoek en bedrijventerrein Turfkade Oost en is uitstekend bereikbaar. Op de naast gelegen kavel staat een nieuw, in 2024 gerealiseerd, bedrijfsverzamelgebouw.
Bereikbaarheid
De locatie is zowel met eigen als met openbaar vervoer uitstekend bereikbaar. De Rijksweg A35 is gelegen op circa 7 minuten rijafstand en de dichtstbijzijnde bushalte is gelegen op circa 1 minuut lopen.
Bestemmingsplan
Gelegen in bestemmingsplan 'Aalderinkshoek' met als enkelbestemming 'Bedrijf'.
De kavel beschikt over de bestemming 'Bedrijf' en mag conform het bestemmingsplan tot 70% worden bebouwd, met een maximale bouwhoogte van 8 meter.
Vraagprijs
€ 225,- per m², te vermeerderen met BTW.
Zekerheidsstelling
Waarborgsom ter grootte van 10% van de koopsom.
Aanvaarding
In overleg.
Voorbehoud
Definitieve goedkeuring opdrachtgever en/of verkoper.
Informatie
Wij hebben getracht middels deze zorgvuldig samengestelde documentatie je zo uitgebreid mogelijk te informeren. Desondanks kunnen hieraan geen rechten worden ontleend. Slechts de feitelijke situatie geeft je een juist beeld.
Kaart
Kaart laden...
Kadastrale grens
Bebouwing
Reistijd
Krijg inzicht in de bereikbaarheid van dit object vanuit bijvoorbeeld een openbaar vervoer station of vanuit een adres.