Description
TE KOOP bedrijfsobject (voormalig Club Baccara), gelegen op een zeer goed bereikbare zichtlocatie gelegen aan de doorgaande weg van de Aris van Broekweg en op loopafstand van NS station Zaandam, Provinciale weg/Albert Heijnweg.
INDELING:
Begane grond ca. 180 m² BVO
Entree aan de voorzijde en tevens separate toegangsdeur aan zijkant. Voorzien van bar, toilet, keuken en diverse ruimten.
Eerste verdieping ca. 80 m² BVO
Diverse ruimten en toilet.
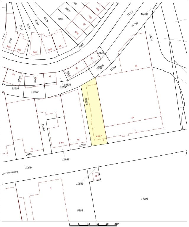
KADASTER
Gemeente: Zaandam
Sectie: K
Nummer: 10323
Grootte: 292 m²
OPLEVERINGSNIVEAU EN VOORZIENINGEN
In huidige staat, as is where is.
BIJZONDERHEDEN:
- object wordt vrij van huur en gebruik aangeboden
- Aris van Broekweg 4, 4A en 8 worden ook in één koop aangeboden (zie advertentie op onze website en funda in business)
BESTEMMING
U kunt bij de gemeente Zaanstad, afdeling Ruimtelijke Ordening, informeren naar de bestemming en of het door u voorgenomen gebruik past binnen deze bestemming.
PARKEREN
Voldoende parkeermogelijkheden voor de deur (betaald) en in de directe omgeving.
BEREIKBAARHEID
Goed bereikbaar vanaf de A8 (Coentunnelweg) / A10 (Ring Amsterdam). De Zuidelijke Randweg garandeert een snelle verbinding naar de Wijkertunnel, Beverwijk en IJmond. Het pand is gelegen is gelegen op een goed bereikbare zichtlocatie aan de doorgaande weg van de Westzanerdijk naar de Provincialeweg/Albert Heijnweg en op korte loopafstand van station Zaandam.
AANVAARDING
Per direct.
INDELING:
Begane grond ca. 180 m² BVO
Entree aan de voorzijde en tevens separate toegangsdeur aan zijkant. Voorzien van bar, toilet, keuken en diverse ruimten.
Eerste verdieping ca. 80 m² BVO
Diverse ruimten en toilet.
KADASTER
Gemeente: Zaandam
Sectie: K
Nummer: 10323
Grootte: 292 m²
OPLEVERINGSNIVEAU EN VOORZIENINGEN
In huidige staat, as is where is.
BIJZONDERHEDEN:
- object wordt vrij van huur en gebruik aangeboden
- Aris van Broekweg 4, 4A en 8 worden ook in één koop aangeboden (zie advertentie op onze website en funda in business)
BESTEMMING
U kunt bij de gemeente Zaanstad, afdeling Ruimtelijke Ordening, informeren naar de bestemming en of het door u voorgenomen gebruik past binnen deze bestemming.
PARKEREN
Voldoende parkeermogelijkheden voor de deur (betaald) en in de directe omgeving.
BEREIKBAARHEID
Goed bereikbaar vanaf de A8 (Coentunnelweg) / A10 (Ring Amsterdam). De Zuidelijke Randweg garandeert een snelle verbinding naar de Wijkertunnel, Beverwijk en IJmond. Het pand is gelegen is gelegen op een goed bereikbare zichtlocatie aan de doorgaande weg van de Westzanerdijk naar de Provincialeweg/Albert Heijnweg en op korte loopafstand van station Zaandam.
AANVAARDING
Per direct.
Map
Map is loading...
Cadastral boundaries
Buildings
Travel time
Gain insight into the reachability of this object, for instance from a public transport station or a home address.