de Waal 18-D 5684 PH Best
€ 110 /m²/year
Description
Locatie:
De te huur aangeboden kantoorruimte met parkeerplaatsen gelegen aan De Waal 18D te Best, is gelegen binnen de Brainport regio op bedrijventerrein Breeven. Dit bedrijventerrein kenmerkt zich door de uitstekende bereikbaarheid en de aanwezigheid van een mooie mix tussen zowel kantoren, lichte industrie als logistieke bedrijven. In de omgeving zijn onder andere gevestigd; Heliox, Brabant Enginering, Matas Electronics, Dekracoat, SRP Zuid en Thermo King.
Bereikbaarheid:
Bedrijventerrein Breeven te Best kent een uitstekende bereikbaarheid via de aansluitingen op de A2/N2, A58. Het ligt in de nabijheid van Eindhoven Airport en heeft een directe busverbinding met Station Best. Op loopafstand is het NH Hotel Best gevestigd. Op korte termijn zal het bedrijventerrein nog beter ontsloten worden door de aanleg van de Challenge variant.
OBJECTGEGEVENS
Beschikbare oppervlakte voor de verhuur:
Circa 265 m² kantoorruimte - begane grond (linkervleugel)
Circa 265 m² kantoorruimte - begane grond (rechtervleugel) - verhuurd
Parkeergelegenheid:
6 parkeerplaatsen beschikbaar, gelegen op eigen parkeerterrein, aan de achterzijde van het kantoorpand aan De Waal 18D te Best, aanvullend gratis openbare parkeerplaatsen gelegen aan de openbare weg.
Opleveringsniveau kantoorruimte:
• liftinstallatie
• systeemplafonds
• verlichting middels LED-inbouwarmaturen*
• daglichttoetreding middels raampartijen
• te openen ramen middels draai- / kiep systeem
• kunststof kozijnen voorzien van dubbele beglazing
• wand kabelgoten voorzien van aansluitingen t.b.v. data en elektra*
• vloerstofferingmiddels PVC visgraat
• huidige kamerindeling middels glaswanden, metal-stud wanden en systeemwanden*
• brandmeldinstallatie
• brandblusvoorzieningen
• gescheiden dames- en heren toiletgroep met voorportaal voorzien van fonteintje
• pantry voorzien van boven- en onderkasten, koelkast en boiler*
• verwarming middels Cv-installatie
• mechanische ventilatie
• topkoeling
Zaken aangegeven met "*" worden eenmalig en omniet door Verhuurder aan Huurder ter beschikking gesteld. Eventuele reparatie, onderhoud en-/of vervangen van deze zaken komt voor rekening en risico van Huurder.
Aanvaarding:
Per direct.
Energielabel:
Het kantoorgebouw beschikt over het zeer gunstige energielabel A+ welke geldig is tot 20-01-2032.
Hiermee voldoet het kantoorpand reeds ruimschoots aan de overheidsdoelstellingen waarbij vanaf 2023 alle utiliteitsgebouwen minimaal een energielabel C dienen te hebben.
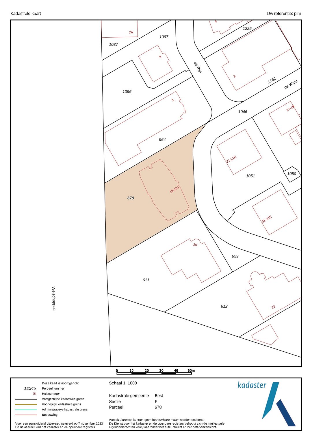
Kadastrale gegevens De Waal 18D te Best:
Gemeente: Best
Sectie: F
Perceelnummer: 678
Oppervlakte: 3.287 m² (gedeeltelijk perceel)
Bestemmingsplan:
Het bestemmingsplan van dit kantoorgebouw aan De Waal 18D te Best op Bedrijventerrein Breeven is op te vragen via één van onze bedrijfsmakelaars bij Bossers & Fitters Bedrijfshuisvesting B.V. en/of via de website van het omgevingsloket.
Bouwjaar:
2000
Gerenoveerd:
2025
HUURGEGEVENS
Aanvangshuurprijs:
€ 110,00 per m² per jaar te vermeerderen met de geldende B.T.W.
Aanvangshuurprijs parkeerplaatsen:
€ 350,00 per parkeerplaats per jaar te vermeerderen met de geldende B.T.W.
Huurtermijn:
Vijf (5) jaren.
Verlengingstermijn:
Telkens met vijf (5) jaar.
Opzegtermijn:
Twaalf (12) maanden voorafgaand aan de expiratiedatum.
Huurindexering:
De huurprijs van dit kantoorpand aan De Waal 18D te Best op Bedrijventerrein Breeven zal jaarlijks worden geïndexeerd, voor het eerst één jaar na huuringangsdatum, op basis van het maandprijsindexcijfer volgens de consumentenprijsindex CPI-alle huishoudens (2015=100), dan wel meest recente tijdsbasis, gepubliceerd door het Centraal Bureau voor de statistiek (CBS).
Zekerheidsstelling:
Bankgarantie of waarborgsom ter grootte van drie (3) maanden huur inclusief servicekosten en B.T.W.
Huurbetaling:
Per maand vooruit te voldoen.
B.T.W.:
Indien huurder niet aan het “90% criterium” (aandeel belaste prestaties) voldoet, zal er van rechtswege sprake zijn van omzetbelasting vrijgestelde verhuur. Als dan wordt de overeengekomen kale huurprijs, exclusief omzetbelasting, zodanig verhoogd, dat het voor verhuurder ontstane financiële nadeel wordt gecompenseerd.
Huurcontract:
R.O.Z.-model, huurovereenkomst kantoorruimte en andere bedrijfsruimte in de zin van artikel 7:230a BW met de benodigde aanvullingen.
Meer informatie:
Wenst u meer informatie over deze beschikbare kantoorruimte welke te huur is in dit vrijstaande kantoorgebouw aan De Waal 18D te Best, neem dan vrijblijvend contact op met één van de bedrijfsmakelaars bij Bossers & Fitters Bedrijfshuisvesting B.V.
Onze bedrijfsmakelaar de heer Pim van der Werff is van alle beschikbare informatie op de hoogte betreffende de verhuur van deze kantoorruimte in dit kantoorpand aan De Waal 18D te Best.
De te huur aangeboden kantoorruimte met parkeerplaatsen gelegen aan De Waal 18D te Best, is gelegen binnen de Brainport regio op bedrijventerrein Breeven. Dit bedrijventerrein kenmerkt zich door de uitstekende bereikbaarheid en de aanwezigheid van een mooie mix tussen zowel kantoren, lichte industrie als logistieke bedrijven. In de omgeving zijn onder andere gevestigd; Heliox, Brabant Enginering, Matas Electronics, Dekracoat, SRP Zuid en Thermo King.
Bereikbaarheid:
Bedrijventerrein Breeven te Best kent een uitstekende bereikbaarheid via de aansluitingen op de A2/N2, A58. Het ligt in de nabijheid van Eindhoven Airport en heeft een directe busverbinding met Station Best. Op loopafstand is het NH Hotel Best gevestigd. Op korte termijn zal het bedrijventerrein nog beter ontsloten worden door de aanleg van de Challenge variant.
OBJECTGEGEVENS
Beschikbare oppervlakte voor de verhuur:
Circa 265 m² kantoorruimte - begane grond (linkervleugel)
Circa 265 m² kantoorruimte - begane grond (rechtervleugel) - verhuurd
Parkeergelegenheid:
6 parkeerplaatsen beschikbaar, gelegen op eigen parkeerterrein, aan de achterzijde van het kantoorpand aan De Waal 18D te Best, aanvullend gratis openbare parkeerplaatsen gelegen aan de openbare weg.
Opleveringsniveau kantoorruimte:
• liftinstallatie
• systeemplafonds
• verlichting middels LED-inbouwarmaturen*
• daglichttoetreding middels raampartijen
• te openen ramen middels draai- / kiep systeem
• kunststof kozijnen voorzien van dubbele beglazing
• wand kabelgoten voorzien van aansluitingen t.b.v. data en elektra*
• vloerstofferingmiddels PVC visgraat
• huidige kamerindeling middels glaswanden, metal-stud wanden en systeemwanden*
• brandmeldinstallatie
• brandblusvoorzieningen
• gescheiden dames- en heren toiletgroep met voorportaal voorzien van fonteintje
• pantry voorzien van boven- en onderkasten, koelkast en boiler*
• verwarming middels Cv-installatie
• mechanische ventilatie
• topkoeling
Zaken aangegeven met "*" worden eenmalig en omniet door Verhuurder aan Huurder ter beschikking gesteld. Eventuele reparatie, onderhoud en-/of vervangen van deze zaken komt voor rekening en risico van Huurder.
Aanvaarding:
Per direct.
Energielabel:
Het kantoorgebouw beschikt over het zeer gunstige energielabel A+ welke geldig is tot 20-01-2032.
Hiermee voldoet het kantoorpand reeds ruimschoots aan de overheidsdoelstellingen waarbij vanaf 2023 alle utiliteitsgebouwen minimaal een energielabel C dienen te hebben.
Kadastrale gegevens De Waal 18D te Best:
Gemeente: Best
Sectie: F
Perceelnummer: 678
Oppervlakte: 3.287 m² (gedeeltelijk perceel)
Bestemmingsplan:
Het bestemmingsplan van dit kantoorgebouw aan De Waal 18D te Best op Bedrijventerrein Breeven is op te vragen via één van onze bedrijfsmakelaars bij Bossers & Fitters Bedrijfshuisvesting B.V. en/of via de website van het omgevingsloket.
Bouwjaar:
2000
Gerenoveerd:
2025
HUURGEGEVENS
Aanvangshuurprijs:
€ 110,00 per m² per jaar te vermeerderen met de geldende B.T.W.
Aanvangshuurprijs parkeerplaatsen:
€ 350,00 per parkeerplaats per jaar te vermeerderen met de geldende B.T.W.
Huurtermijn:
Vijf (5) jaren.
Verlengingstermijn:
Telkens met vijf (5) jaar.
Opzegtermijn:
Twaalf (12) maanden voorafgaand aan de expiratiedatum.
Huurindexering:
De huurprijs van dit kantoorpand aan De Waal 18D te Best op Bedrijventerrein Breeven zal jaarlijks worden geïndexeerd, voor het eerst één jaar na huuringangsdatum, op basis van het maandprijsindexcijfer volgens de consumentenprijsindex CPI-alle huishoudens (2015=100), dan wel meest recente tijdsbasis, gepubliceerd door het Centraal Bureau voor de statistiek (CBS).
Zekerheidsstelling:
Bankgarantie of waarborgsom ter grootte van drie (3) maanden huur inclusief servicekosten en B.T.W.
Huurbetaling:
Per maand vooruit te voldoen.
B.T.W.:
Indien huurder niet aan het “90% criterium” (aandeel belaste prestaties) voldoet, zal er van rechtswege sprake zijn van omzetbelasting vrijgestelde verhuur. Als dan wordt de overeengekomen kale huurprijs, exclusief omzetbelasting, zodanig verhoogd, dat het voor verhuurder ontstane financiële nadeel wordt gecompenseerd.
Huurcontract:
R.O.Z.-model, huurovereenkomst kantoorruimte en andere bedrijfsruimte in de zin van artikel 7:230a BW met de benodigde aanvullingen.
Meer informatie:
Wenst u meer informatie over deze beschikbare kantoorruimte welke te huur is in dit vrijstaande kantoorgebouw aan De Waal 18D te Best, neem dan vrijblijvend contact op met één van de bedrijfsmakelaars bij Bossers & Fitters Bedrijfshuisvesting B.V.
Onze bedrijfsmakelaar de heer Pim van der Werff is van alle beschikbare informatie op de hoogte betreffende de verhuur van deze kantoorruimte in dit kantoorpand aan De Waal 18D te Best.
Features
Transfer of ownership
- Rental price
- € 110 per square meter per year
- Service charges
- No service charges known
- Listed since
-
- Status
- Available
- Acceptance
- Available immediately
Construction
- Main use
- Office
- Building type
- Resale property
- Year of construction
- 2000
Surface areas
- Area
- 265 m²
- Plot size
- 3,287 m²
Layout
- Number of floors
- 1 floor
- Facilities
- Mechanical ventilation, peak cooling, built-in fittings, elevators, windows can be opened, cable ducts, modular ceiling, toilet, pantry, heating and room layout
Energy
- Energy label
- A+
Surroundings
- Location
- Business park
Parking
- Parking spaces
- 6 uncovered parking spaces
- Parking costs
- From € 350,- per lot per year
NVM real estate agent
Photos