Dorpsstraat 35 2712 AC Zoetermeer

€ 2,950 p/mo.

Description

Algemeen: Het historisch karakteristieke vrijstaande gebouw en voormalige bewaarschool is gelegen midden in het aantrekkelijke en sfeervolle woon-/ winkelgebied van de Dorpsstraat in het historische hart van Zoetermeer. Via de Nicolaasbrug bent u binnen 5 minuten in het winkelcentrum Stadshart/ Stadhuis.

Een bewaarschool is de voorloper van de kleuterschool. Het kerkbestuur van de Nicolaaskerk aan de overkant gaf in 1928 de opdracht tot de bouw van deze school. De kleuterschool kreeg de naam 'Het Kwetternest'. De stijl van de school is verwant aan de Nieuwe Haagse School. Na een grondige opknapbeurt kwam er in dit gemeentelijke monument eerst een kookstudio en vervolgens restaurant Smaak & Vermaak Zoetermeer. Ondanks deze opknapbeurt zijn vele kenmerken van de oude school nog mooi bewaard gebleven.

Bereikbaarheid: De Dorpsstraat is zowel per auto, fiets en openbaar vervoer uitstekend bereikbaar.

Adres: Dorpsstraat 35, 2712 AC te Zoetermeer.

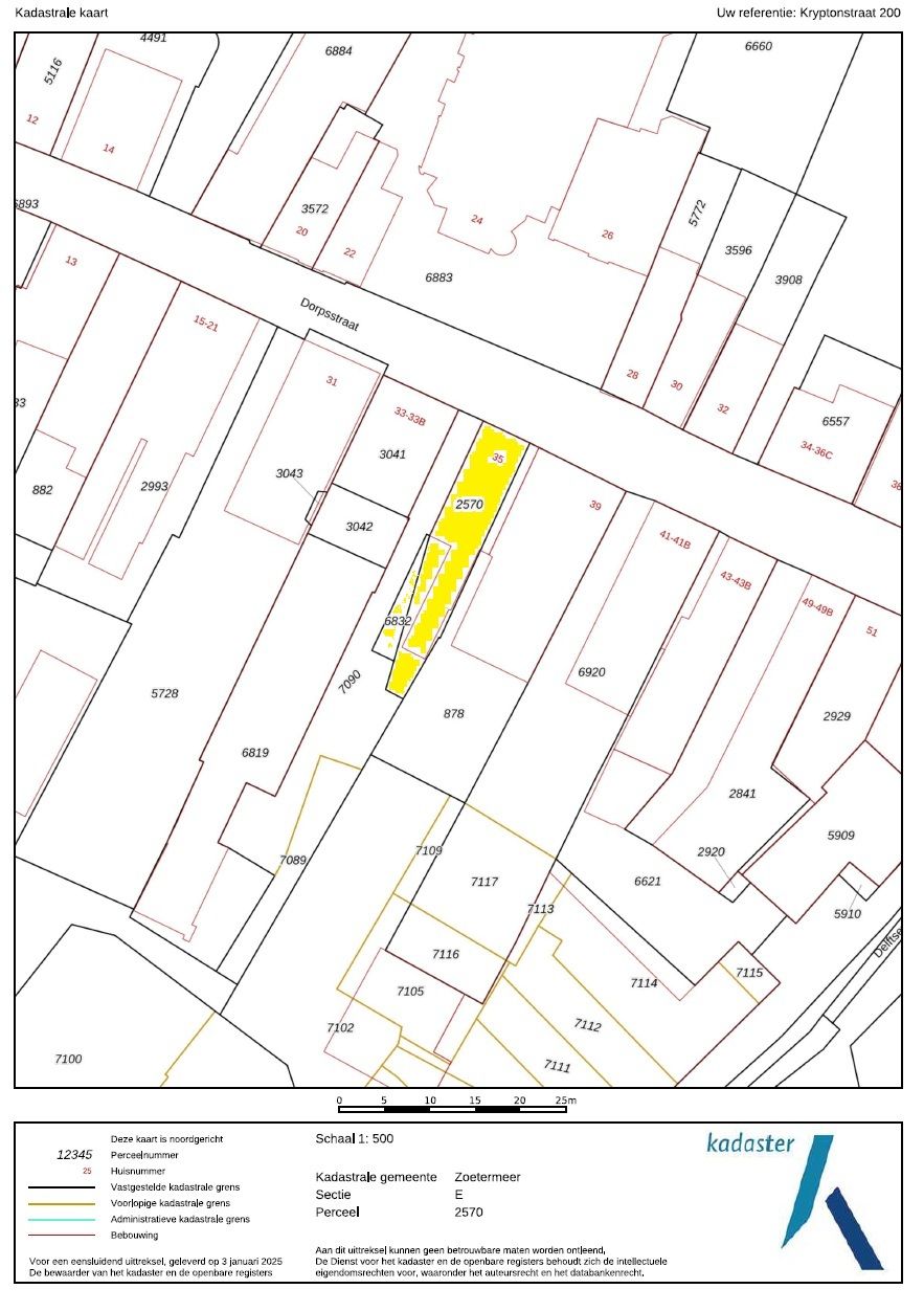
Kadastrale gegevens:
Gemeente: Zoetermeer
Sectie: E
Nummer: 2570 en 6832
Grootte: 195 m² respectievelijk 18 m² (eigen grond)

Bouwjaar: Omstreeks 1920.

Metrage: Het object heeft een totale oppervlakte van circa 185 m² b.v.o. welke als volgt is verdeeld:

Begane grond circa 125 m² b.v.o.
Zolderverdiepingen circa 60 m² b.v.o.
De zolderverdiepingen zijn uitsluitend per (losse) trap bereikbaar.

Parkeren: Er zijn ruime parkeervoorzieningen aan het Nicolaasplein (blauwe zone, eerste 3 uur gratis).

De Dorpsstraat kan vanaf 6.00 uur tot 11.00 uur vanaf het kruispunt Delftsewallen - Leidsewallen via de automatisch neergelaten pollers ingereden worden.

Opleveringsniveau: Het object wordt casco opgeleverd en is onder andere voorzien van:
- tegelvloer v.v. vloerverwarming;
- houten kozijnen v.v. enkel glas;
- hoogte deels ca. 2,3m, deels ca. 2,65m en deels 3,6m;
- tweetal toiletten;
- wastafel;
- cv- ketel (Ecomline).

Bestemming: 2e partiële herziening bestemmingsplan Stadscentrum / Dorpsstraat. De voor 'Centrum - 3' aangewezen gronden zijn bestemd voor:
a. ambachtelijk bedrijf;
b. dienstverlening t/m categorie A van de in de bijlagen bij deze regels behorende Staat van Bedrijfsactiviteiten functiemenging 1e herziening Stadscentrum/Dorpsstraat;
c. maatschappelijke voorzieningen t/m categorie A van de in de bijlagen bij deze regels behorende Staat van Bedrijfsactiviteiten functiemenging 1e herziening Stadscentrum/Dorpsstraat;
e. wonen.

Mogelijke branche: kapper.

Voor het volledige bestemmingsplan zie de website omgevingswet.overheid.nl

HUURVOORWAARDEN

Huurprijs: € 2.950,-- per maand te vermeerderen met de wettelijk verschuldigde omzetbelasting.

Huurtermijn: In overleg, uitgangspunt is een korte huurperiode van in beginsel maximaal 2 (twee) jaar.

Opzegtermijn: 3 (drie) maanden voor expiratie huurovereenkomst per aangetekend schrijven of bij deurwaardersexploot.

Oplevering: In overleg, op korte termijn mogelijk.

Huurbetaling: Per maand vooruit.

Huurprijsaanpassing: Jaarlijks, zal per huuringangsdatum, voor het eerst 12 maanden na huuringangsdatum, de huurprijs worden aangepast op basis van de wijziging van het maandprijsindexcijfer volgens de consumentenprijsindex (CPI) reeks alle huishoudens (2015 = 100), gepubliceerd door het Centraal Bureau voor de Statistiek (CBS).

Service- en energiekosten: Het object is geheel zelfstandig en er zijn geen bijkomende leveringen en diensten door of vanwege verhuurder van toepassing.

Huurovereenkomst: Standaard huurovereenkomst winkelruimte en andere bedrijfsruimte in de zin van artikel 7:290 BW, vastgesteld door de Raad van Onroerende Zaken (ROZ) in december 2022. Van deze huurovereenkomst maken deel uit de algemene bepalingen winkelruimte en andere bedrijfsruimte in de zin van artikel 7:290 BW, welke op 19 december 2022 gedeponeerd zijn bij de griffie van de rechtbank Den Haag en aldaar zijn ingeschreven onder nummer 2022/36.

Zekerheidsstelling: Bij ondertekening van de huurovereenkomst, zal huurder een bankgarantie stellen ter grootte van drie maanden huurverplichting te vermeerderen met (eventuele) servicekosten en de wettelijk verschuldigde omzetbelasting.

Voorbehoud:
- positief kredietinformatierapport ter beoordeling van verhuurder;
- goedkeuring directie verhuurder.

Features

Transfer of ownership

Rental price
€ 2,950 per month
Service charges
No service charges known
Listed since
Status
Available
Acceptance
Available in consultation

Construction

Main use
Office
Alternative use(s)
Commercial property
Building type
Resale property
Year of construction
1920

Surface areas

Area
185 m²

Layout

Number of floors
2 floors
Facilities
Windows can be opened, toilet and heating

Energy

Energy label
Not available

Surroundings

Location
Town center
Accessibility
Bus stop in less than 500 m, motorway exit in 500 m to 1000 m and Tram stop in 500 m to 1000 m

Map

Map is loading...

Cadastral boundaries Buildings

Travel time

Gain insight into the reachability of this object, for instance from a public transport station or a home address.

Dorpsstraat 35

€ 2,950 p/mo.