Smithweg 16-09 4462 HC Goes
€ 750 /mnd
€ 138.500 v.o.n.
Omschrijving
TE KOOP/TE HUUR
Bent u op zoek naar een instapklare bedrijfsruimte op bedrijventerrein de Poel? Aan de Smithweg mogen wij een 5-tal moderne nieuwbouwunits aanbieden. De units zijn voorzien van onder andere een verdiepingsvloer, toilet, verlichting en wandcontactdozen. De units zijn vrijwel direct beschikbaar! Dit biedt u de kans om als eerste ondernemer uw intrek te nemen in een nieuwe bedrijfsruimte!
Indeling
Bedrijfsruimte op de begane grond ca. 49 m².
Verdiepingsvloer ca. 35 m².
Totaal: ca. 84 m².
Onder- en overmaat worden niet verrekend.
Voorzieningen
-Elektrisch bediende Hörmann overheaddeur (3.2 x 4.5m B x H) + aparte loopdeur.
-Het terrein is afgesloten met hekwerk, voorzien van elektrische poorten.
-Verdiepingsvloer
-Toilet met wastafel
-LED verlichting.
-HR++ beglazing.
-1 Parkeerplaats voor de unit.
Bestemming
Conform het bestemmingsplan 'Bedrijventerreinen De Poel' geldt op de locatie de bestemming 'Bedrijventerrein' met de functieaanduiding 'Bedrijf tot en met categorie 3.2' van de Staat van Bedrijfsactiviteiten.
Voor meer informatie zie
Beschikbaar
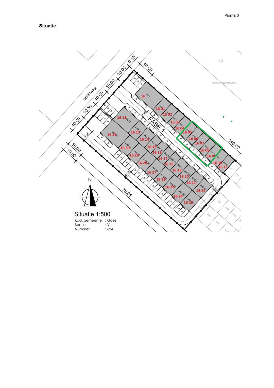
Smithweg 16-05: te koop
Smithweg 16-06: te koop
Smithweg 16-07: te huur
Smithweg 16-08: te huur
Smithweg 16-09: te huur
TE KOOP
Kadastrale gegevens
Gemeente Goes, Sectie V, nummer 1702, Appartementsrecht 6 - 7
Bouwjaar
2025
VvE
De units zijn onder gebracht in een VVE.
De kosten hiervoor bedragen ca. €50,- excl. BTW per maand.
Koopprijs
€138.500,-- v.o.n. excl. BTW per unit
Fiscaal
Over de koopsom is omzetbelasting verschuldigd, thans 21%. Er is geen overdrachtsbelasting verschuldigd, gezien de unit nog niet in gebruik is genomen.
Zekerheidsstelling
Een garantie ter grootte van 10% van de overeengekomen koopsom, binnen 14 dagen na ondertekening van de koopovereenkomst te storten op een kwaliteitsrekening van de begeleidend notaris.
TE HUUR
Huurprijzen
De huurprijzen variëren, afhankelijk van de duur van de overeenkomst. Onderstaand is de huurprijs per termijn weergegeven:
-1+1 jaar huurprijs: €795,- excl. BTW per maand per unit
-3+3 jaar huurprijs: €775,- excl. BTW per maand per unit
-5+5 jaar huurprijs: €750,- excl. BTW per maand per unit
Huurtermijn
Afwijkende huurperioden zijn mogelijk in overleg.
Huurbetaling
Per maand vooruit.
Parkeren
1 parkeerplaats aan de voorzijde van de unit.
Servicekosten
Ca. €20,- excl. BTW per maand huurders VvE bijdrage .
Nutsvoorzieningen
Huurder dient per datum sleuteloverdracht de nutscontracten op eigen naam te zetten.
Huurindexatie
De huurprijs zal jaarlijks, voor het eerst één jaar na ingangsdatum van de huurovereenkomst, worden aangepast op basis van het maandprijsindexcijfer volgens de Consumentenprijsindex (CPI), reeks Alle Huishoudens (2015=100), dan wel de meest recente tijdbasis, gepubliceerd door het Centraal Bureau voor de Statistiek (CBS). De nieuwe huurprijs zal nimmer lager zijn dan de laatst geldende huurprijs.
Zekerheidsstelling
Een waarborgsom of bankgarantie ter grootte van 3 maanden huur incl. BTW
Omzetbelasting
Verhuurder wenst te opteren voor BTW-belaste huur en verhuur. Ingeval huurder de BTW niet kan verrekenen zal de huurprijs in overleg met huurder worden verhoogd ter compensatie van de gevolgen van het vervallen van de mogelijkheden om te opteren voor BTW-belaste verhuur.
Huurovereenkomst
Model ROZ-kantoorruimte en andere bedrijfsruimte in de zin van artikel 7:230a BW, aangevuld met enkele aanpassingen van verhuurderszijde.
Oplevering
Moment in overleg.
Bezichtigingen
Uitsluitend op afspraak is het mogelijk om het object te bezichtigen. Voor het plannen van een afspraak kan contact worden opgenomen met ons kantoor.
Algemeen
Al het bovenstaande betreft informatie omtrent de verkoop/verhuur van "Smithweg 16 -05 - 16-09". De informatie is met zorg samengesteld, maar voor de juistheid ervan kan door Faasse & Fermont geen aansprakelijkheid worden aanvaard, noch aan de vermelde gegevens enig recht worden ontleend. Nadrukkelijk is vermeld dat deze informatieverstrekking niet als aanbieding of offerte mag worden beschouwd.
Bent u op zoek naar een instapklare bedrijfsruimte op bedrijventerrein de Poel? Aan de Smithweg mogen wij een 5-tal moderne nieuwbouwunits aanbieden. De units zijn voorzien van onder andere een verdiepingsvloer, toilet, verlichting en wandcontactdozen. De units zijn vrijwel direct beschikbaar! Dit biedt u de kans om als eerste ondernemer uw intrek te nemen in een nieuwe bedrijfsruimte!
Indeling
Bedrijfsruimte op de begane grond ca. 49 m².
Verdiepingsvloer ca. 35 m².
Totaal: ca. 84 m².
Onder- en overmaat worden niet verrekend.
Voorzieningen
-Elektrisch bediende Hörmann overheaddeur (3.2 x 4.5m B x H) + aparte loopdeur.
-Het terrein is afgesloten met hekwerk, voorzien van elektrische poorten.
-Verdiepingsvloer
-Toilet met wastafel
-LED verlichting.
-HR++ beglazing.
-1 Parkeerplaats voor de unit.
Bestemming
Conform het bestemmingsplan 'Bedrijventerreinen De Poel' geldt op de locatie de bestemming 'Bedrijventerrein' met de functieaanduiding 'Bedrijf tot en met categorie 3.2' van de Staat van Bedrijfsactiviteiten.
Voor meer informatie zie
Beschikbaar
Smithweg 16-05: te koop
Smithweg 16-06: te koop
Smithweg 16-07: te huur
Smithweg 16-08: te huur
Smithweg 16-09: te huur
TE KOOP
Kadastrale gegevens
Gemeente Goes, Sectie V, nummer 1702, Appartementsrecht 6 - 7
Bouwjaar
2025
VvE
De units zijn onder gebracht in een VVE.
De kosten hiervoor bedragen ca. €50,- excl. BTW per maand.
Koopprijs
€138.500,-- v.o.n. excl. BTW per unit
Fiscaal
Over de koopsom is omzetbelasting verschuldigd, thans 21%. Er is geen overdrachtsbelasting verschuldigd, gezien de unit nog niet in gebruik is genomen.
Zekerheidsstelling
Een garantie ter grootte van 10% van de overeengekomen koopsom, binnen 14 dagen na ondertekening van de koopovereenkomst te storten op een kwaliteitsrekening van de begeleidend notaris.
TE HUUR
Huurprijzen
De huurprijzen variëren, afhankelijk van de duur van de overeenkomst. Onderstaand is de huurprijs per termijn weergegeven:
-1+1 jaar huurprijs: €795,- excl. BTW per maand per unit
-3+3 jaar huurprijs: €775,- excl. BTW per maand per unit
-5+5 jaar huurprijs: €750,- excl. BTW per maand per unit
Huurtermijn
Afwijkende huurperioden zijn mogelijk in overleg.
Huurbetaling
Per maand vooruit.
Parkeren
1 parkeerplaats aan de voorzijde van de unit.
Servicekosten
Ca. €20,- excl. BTW per maand huurders VvE bijdrage .
Nutsvoorzieningen
Huurder dient per datum sleuteloverdracht de nutscontracten op eigen naam te zetten.
Huurindexatie
De huurprijs zal jaarlijks, voor het eerst één jaar na ingangsdatum van de huurovereenkomst, worden aangepast op basis van het maandprijsindexcijfer volgens de Consumentenprijsindex (CPI), reeks Alle Huishoudens (2015=100), dan wel de meest recente tijdbasis, gepubliceerd door het Centraal Bureau voor de Statistiek (CBS). De nieuwe huurprijs zal nimmer lager zijn dan de laatst geldende huurprijs.
Zekerheidsstelling
Een waarborgsom of bankgarantie ter grootte van 3 maanden huur incl. BTW
Omzetbelasting
Verhuurder wenst te opteren voor BTW-belaste huur en verhuur. Ingeval huurder de BTW niet kan verrekenen zal de huurprijs in overleg met huurder worden verhoogd ter compensatie van de gevolgen van het vervallen van de mogelijkheden om te opteren voor BTW-belaste verhuur.
Huurovereenkomst
Model ROZ-kantoorruimte en andere bedrijfsruimte in de zin van artikel 7:230a BW, aangevuld met enkele aanpassingen van verhuurderszijde.
Oplevering
Moment in overleg.
Bezichtigingen
Uitsluitend op afspraak is het mogelijk om het object te bezichtigen. Voor het plannen van een afspraak kan contact worden opgenomen met ons kantoor.
Algemeen
Al het bovenstaande betreft informatie omtrent de verkoop/verhuur van "Smithweg 16 -05 - 16-09". De informatie is met zorg samengesteld, maar voor de juistheid ervan kan door Faasse & Fermont geen aansprakelijkheid worden aanvaard, noch aan de vermelde gegevens enig recht worden ontleend. Nadrukkelijk is vermeld dat deze informatieverstrekking niet als aanbieding of offerte mag worden beschouwd.
Kenmerken
Overdracht
- Vraagprijs
- € 138.500 vrij op naam
- Huurprijs
- € 750 per maand
- Aangeboden sinds
-
- Status
- Beschikbaar
- Aanvaarding
- In overleg
Bouw
- Hoofdfunctie
- Bedrijfshal
- Soort bouw
- Bestaande bouw
- Bouwjaar
- 2026
Oppervlakten
- Oppervlakte
- 420 m² (in units vanaf 84 m²)
- Bedrijfshal oppervlak
- 420 m²
Energie
- Energielabel
- Niet verplicht
Omgeving
- Ligging
- Bedrijventerrein
Foto's