Kelvinstraat 6 8861 ND Harlingen
€ 2.120.000 k.k.
Omschrijving
Kelvinstraat 6 Harlingen
Direct aan de afslag A-31, op het bedrijvenpark Oostpoort te Harlingen staat dit dubbele bedrijfsgebouw, plaatselijk bekend Kelvinstraat 6 & Celciusstraat 2 Harlingen.
Het geheel bestaat uit;
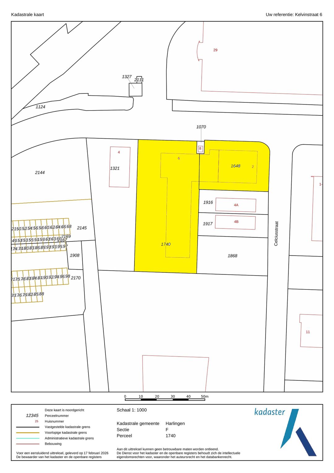
Een totaal perceel eigen grond van 4.565 m2;
Ca. 460 m2 moderne kantoorruimten verdeeld over twee verdiepingen;
Ca. 1.589 m2 (VVO) hoogwaardige bedrijfsruimten.
Het geheel verkeerd in goede staat van onderhoud en heeft een hoogwaardige uitstraling.
Fundatie en vloeren van beton, verzwaarde stalen spantconstructie ten behoeve van de aanwezige bovenloopkranen, gevels sandwichpanelen, platstaal dak, kozijnen, ramen en deuren van kunststof, geheel voorzien van dubbel glas, geheel LED verlichting. De kantoren worden verwarmd middels radiatoren op een HR combiketel, in de bedrijfshal is een heater en er is deels vloerverwarming.
In de bedrijfshal Kelvinstraat 6 hangen drie bovenloopkranen van resp. 1 x 3 ton en 2 x 10 ton. In de hal Celciusstraat 2 is 1 x een bovenloopkraan van 1,6 ton. De gemiddelde gebouwhoogte is 8 meter, echter een deel van de Celciussstraat is 6, 10 m1 hoog.
Totaal zijn er vijf elektrische overheaddeuren. De Kelvinstraat heeft drie overheaddeuren van resp. 1 stuks van 8 x 4,8 m1 en 2 stuks van 4 x 4,8 m1, de tussen bouw 1 stuks 5,75, x 4,5 m1 en de Celsiusstraat 1 x van 5,75 x 4,5 m1.
Het geheel is ingericht en afgestemd ten behoeve van apparatenbouw.
Kelvinstraat 6:
Hal / entree, meterkast, opgang, kantine, spreekkamer, kleedruimte en toilet, bedrijfshal.
Op de verdieping zijn de diverse moderne kantoorruimten.
Bedrijfshal met doorgang naar Celciusstraat 2;
bedrijfsruimte, kantoren, hal / entree, meterkast en opgang naar de verdieping met kantoorruimten.
Het vigerend bestemmingsplan betreft 'Harlingen - Oostpoort' en is vastgesteld op 5 februari 2010. Het getaxeerde heeft de bestemming "bedrijventerrein" en de gronden zijn geschikt voor bedrijfsgebouwen ten behoeve van bedrijven die zijn genoemd in bijlage 1 categorie 1 & 2 tot categorie 4.2.
Voorkeur gaat uit naar verkoop in zijn geheel. Een eventuele gesplitste verkoop is bespreekbaar.
Bij serieuze interesse kunt u de plattegronden bij ons kantoor opvragen.
Vraagprijs: € 2.120.000,= kosten koper exclusief BTW
Aflevering in overleg.
Direct aan de afslag A-31, op het bedrijvenpark Oostpoort te Harlingen staat dit dubbele bedrijfsgebouw, plaatselijk bekend Kelvinstraat 6 & Celciusstraat 2 Harlingen.
Het geheel bestaat uit;
Een totaal perceel eigen grond van 4.565 m2;
Ca. 460 m2 moderne kantoorruimten verdeeld over twee verdiepingen;
Ca. 1.589 m2 (VVO) hoogwaardige bedrijfsruimten.
Het geheel verkeerd in goede staat van onderhoud en heeft een hoogwaardige uitstraling.
Fundatie en vloeren van beton, verzwaarde stalen spantconstructie ten behoeve van de aanwezige bovenloopkranen, gevels sandwichpanelen, platstaal dak, kozijnen, ramen en deuren van kunststof, geheel voorzien van dubbel glas, geheel LED verlichting. De kantoren worden verwarmd middels radiatoren op een HR combiketel, in de bedrijfshal is een heater en er is deels vloerverwarming.
In de bedrijfshal Kelvinstraat 6 hangen drie bovenloopkranen van resp. 1 x 3 ton en 2 x 10 ton. In de hal Celciusstraat 2 is 1 x een bovenloopkraan van 1,6 ton. De gemiddelde gebouwhoogte is 8 meter, echter een deel van de Celciussstraat is 6, 10 m1 hoog.
Totaal zijn er vijf elektrische overheaddeuren. De Kelvinstraat heeft drie overheaddeuren van resp. 1 stuks van 8 x 4,8 m1 en 2 stuks van 4 x 4,8 m1, de tussen bouw 1 stuks 5,75, x 4,5 m1 en de Celsiusstraat 1 x van 5,75 x 4,5 m1.
Het geheel is ingericht en afgestemd ten behoeve van apparatenbouw.
Kelvinstraat 6:
Hal / entree, meterkast, opgang, kantine, spreekkamer, kleedruimte en toilet, bedrijfshal.
Op de verdieping zijn de diverse moderne kantoorruimten.
Bedrijfshal met doorgang naar Celciusstraat 2;
bedrijfsruimte, kantoren, hal / entree, meterkast en opgang naar de verdieping met kantoorruimten.
Het vigerend bestemmingsplan betreft 'Harlingen - Oostpoort' en is vastgesteld op 5 februari 2010. Het getaxeerde heeft de bestemming "bedrijventerrein" en de gronden zijn geschikt voor bedrijfsgebouwen ten behoeve van bedrijven die zijn genoemd in bijlage 1 categorie 1 & 2 tot categorie 4.2.
Voorkeur gaat uit naar verkoop in zijn geheel. Een eventuele gesplitste verkoop is bespreekbaar.
Bij serieuze interesse kunt u de plattegronden bij ons kantoor opvragen.
Vraagprijs: € 2.120.000,= kosten koper exclusief BTW
Aflevering in overleg.
Kenmerken
Overdracht
- Vraagprijs
- € 2.120.000 kosten koper
- Aangeboden sinds
-
- Status
- Beschikbaar
- Aanvaarding
- In overleg
Bouw
- Hoofdfunctie
- Bedrijfshal
- Soort bouw
- Bestaande bouw
- Bouwjaar
- 2010
Oppervlakten
- Oppervlakte
- 2.049 m²
- Bedrijfshal oppervlak
- 1.589 m²
- Terrein oppervlak
- 4.565 m²
- Kantoor oppervlak
- 460 m²
- Vrije hoogte
- 8 m
- Vrije overspanning
- 15 m
- Perceel
- 4.565 m²
Indeling
- Aantal bouwlagen
- 2 bouwlagen
- Voorzieningen
- Airconditioning, lichtstraten, overheaddeuren, krachtstroom, betonvloer, inbouwarmaturen en te openen ramen
Energie
- Energielabel
- Niet beschikbaar
NVM makelaar
Foto's