Burgemeester de Weichshavenstraat 26 5861 AZ Wanssum
- Nieuw
€ 123.750 k.k.
Omschrijving
OMSCHRIJVING
Burgemeester de Weichshavenstraat 26 te Wanssum
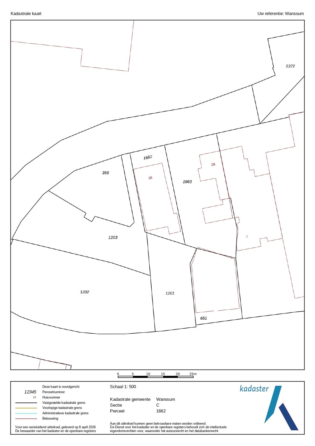
Kadastrale gemeente: Wanssum
Sectie: C
Perceel: 1662
Op het bedrijventerrein in Wanssum is dit functionele bedrijfspand gelegen, bestaande
uit een loods met aangebouwde garage, gesitueerd op een perceel van 375 m². Het
object is geschikt voor diverse bedrijfsactiviteiten binnen de geldende bestemming.
De loods heeft een oppervlakte van circa 230 m² (10 x 23 meter) en is uitgevoerd in
halfsteens metselwerk met een betonnen vloer. De toegang tot de loods geschiedt via
houten schuifdeuren. De ruimte is praktisch van opzet en uitermate geschikt voor
opslag- en werkdoeleinden. De loods is niet verwarmd. Op het dak zijn tevens 16
zonnepanelen geplaatst.
Aan de loods is een garage aangebouwd, voorzien van een stalen kanteldeur, welke
geschikt is als aanvullende opslagruimte of werkplaats.
Het object is gelegen op een bedrijventerrein met een bestemming voor bedrijven in
milieucategorie 2 tot en met 3.2, wat een brede inzetbaarheid mogelijk maakt.
Belangrijke kenmerken:
* Perceeloppervlakte: 375 m²
* Loodsoppervlakte: ca. 230 m²
* Bouw: halfsteens met betonnen vloer
* Voorzien van houten schuifdeuren
* Onverwarmde loods
* Voorzien van 16 zonnepanelen
* Aangebouwde garage met stalen kanteldeur
* Bebouwingspercentage: 70%
* Maximale bouwhoogte: 12 meter
* Geschikt voor diverse bedrijfsactiviteiten
Kortom, een praktisch en goed gelegen bedrijfspand met diverse gebruiksmogelijkheden
op een bedrijventerrein.
Burgemeester de Weichshavenstraat 26 te Wanssum
Kadastrale gemeente: Wanssum
Sectie: C
Perceel: 1662
Op het bedrijventerrein in Wanssum is dit functionele bedrijfspand gelegen, bestaande
uit een loods met aangebouwde garage, gesitueerd op een perceel van 375 m². Het
object is geschikt voor diverse bedrijfsactiviteiten binnen de geldende bestemming.
De loods heeft een oppervlakte van circa 230 m² (10 x 23 meter) en is uitgevoerd in
halfsteens metselwerk met een betonnen vloer. De toegang tot de loods geschiedt via
houten schuifdeuren. De ruimte is praktisch van opzet en uitermate geschikt voor
opslag- en werkdoeleinden. De loods is niet verwarmd. Op het dak zijn tevens 16
zonnepanelen geplaatst.
Aan de loods is een garage aangebouwd, voorzien van een stalen kanteldeur, welke
geschikt is als aanvullende opslagruimte of werkplaats.
Het object is gelegen op een bedrijventerrein met een bestemming voor bedrijven in
milieucategorie 2 tot en met 3.2, wat een brede inzetbaarheid mogelijk maakt.
Belangrijke kenmerken:
* Perceeloppervlakte: 375 m²
* Loodsoppervlakte: ca. 230 m²
* Bouw: halfsteens met betonnen vloer
* Voorzien van houten schuifdeuren
* Onverwarmde loods
* Voorzien van 16 zonnepanelen
* Aangebouwde garage met stalen kanteldeur
* Bebouwingspercentage: 70%
* Maximale bouwhoogte: 12 meter
* Geschikt voor diverse bedrijfsactiviteiten
Kortom, een praktisch en goed gelegen bedrijfspand met diverse gebruiksmogelijkheden
op een bedrijventerrein.
Kenmerken
Overdracht
- Vraagprijs
- € 123.750 kosten koper
- Aangeboden sinds
-
- Status
- Beschikbaar
- Aanvaarding
- In overleg
Bouw
- Hoofdfunctie
- Bedrijfshal
- Soort bouw
- Bestaande bouw
- Bouwjaar
- 1980
Oppervlakten
- Oppervlakte
- 230 m²
- Bedrijfshal oppervlak
- 230 m²
- Terrein oppervlak
- 375 m²
- Perceel
- 375 m²
- Uitbreidingsmogelijkheden
- 262 m²
Indeling
- Voorzieningen
- Betonvloer
Energie
- Energielabel
- Niet beschikbaar
Omgeving
- Ligging
- Bedrijventerrein
Parkeergelegenheid
- Parkeerplaatsen
- 4 niet-overdekte parkeerplaatsen
Foto's