Description
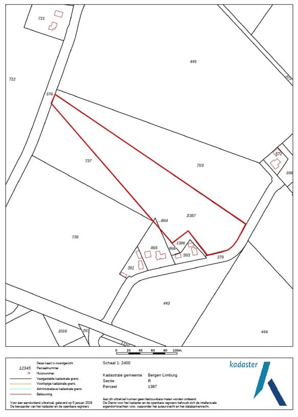
U wordt aangeboden een perceel cultuurgrond in Siebengewald. Het perceel is gelegen tussen de Flieraijseweg en de Kendelweg. Vanuit de verharde Kendelweg is de locatie zeer goed bereikbaar.
Het perceel heeft een langgerekt, taps toelopende vorm. De afgelopen jaren is het perceel deels ingezaaid geweest met een agrarisch natuurmengsel en deels als (tijdelijk) grasland.
De bodem bestaat uit lichte zavel, geschikt voor de teelt van diverse akkerbouwgewassen.
Kadastrale situatie:
Gemeente Bergen Limburg, sectie R, nummer 864
Gemeente Bergen Limburg, sectie R, nummer 1387
Tezamen groot 02.17.73 ha.
Bodem en gebruik:
De grondsoort betreft lichte zavel. Het perceel is deels ingezaaid met agrarisch natuurmengsel en deels met gras (tijdelijk).
Bijzonderheden:
Er rust een jachtrecht op het perceel.
Bestemmingsplan:
Het perceel is gelegen binnen het bestemmingsplan 'Buitengebied 2018, 1e herziening', geheel in werking
vastgesteld door de Gemeente Bergen (L) per 13-12-2022.
Op het perceel rusten de volgende bestemmingsvlakken:
- 'Agrarisch'
- 'Wonen' (perceel Bergen R 864, grootte 55 m2)
Prijs op aanvraag
Aanvaarding:
In overleg
Voor meer informatie kunt u contact opnemen met:
John Derix (makelaar)
t: 06 2095 8074
e:
Jolien Janssen (junior makelaar)
t: 06 5572 0230
e:
Het perceel heeft een langgerekt, taps toelopende vorm. De afgelopen jaren is het perceel deels ingezaaid geweest met een agrarisch natuurmengsel en deels als (tijdelijk) grasland.
De bodem bestaat uit lichte zavel, geschikt voor de teelt van diverse akkerbouwgewassen.
Kadastrale situatie:
Gemeente Bergen Limburg, sectie R, nummer 864
Gemeente Bergen Limburg, sectie R, nummer 1387
Tezamen groot 02.17.73 ha.
Bodem en gebruik:
De grondsoort betreft lichte zavel. Het perceel is deels ingezaaid met agrarisch natuurmengsel en deels met gras (tijdelijk).
Bijzonderheden:
Er rust een jachtrecht op het perceel.
Bestemmingsplan:
Het perceel is gelegen binnen het bestemmingsplan 'Buitengebied 2018, 1e herziening', geheel in werking
vastgesteld door de Gemeente Bergen (L) per 13-12-2022.
Op het perceel rusten de volgende bestemmingsvlakken:
- 'Agrarisch'
- 'Wonen' (perceel Bergen R 864, grootte 55 m2)
Prijs op aanvraag
Aanvaarding:
In overleg
Voor meer informatie kunt u contact opnemen met:
John Derix (makelaar)
t: 06 2095 8074
e:
Jolien Janssen (junior makelaar)
t: 06 5572 0230
e:
Map
Map is loading...
Cadastral boundaries
Buildings
Travel time
Gain insight into the reachability of this object, for instance from a public transport station or a home address.