Scherpakkerweg 15 5616 HP Eindhoven
€ 95.000 /jr
Omschrijving
Locatie:
De te huur aangeboden hoogwaardige industriële kantoorruimte/showroom aan de Scherpakkerweg 15 te Eindhoven is gelegen in stadsdeel Strijp op het kleinschalige bedrijventerrein "Engelsbergen" aan de drukke binnenring ter hoogte van De Hurk. Zowel het snelwegennet als het centrum van Eindhoven zijn vanuit deze locatie zéér goed bereikbaar. De omgeving kenmerkt zich door de aanwezigheid van hoofdzakelijk kantoren, woningen, en winkels waaronder Albert Heijn XL.
Bereikbaarheid:
Bedrijventerrein Engelsbergen te Eindhoven is gelegen aan de noordwestkant van Eindhoven in Stadsdeel Strijp en heeft directe aansluiting met de A2/N2 en A58. Via de toegangswegen Anthony Fokkerweg en Tilburgseweg is het centrum zéér goed bereikbaar. Zowel de nieuwe ontwikkelingsgebieden Strijp-S, Strijp-T als Strijp-R zijn in dit stadsdeel gelegen. Diverse buslijnen waaronder de HOV-lijn zorgen voor een snelle verbinding met de Airport, het centrum en het Centraal Station Eindhoven.
OBJECTGEGEVENS
Beschikbare oppervlakte voor de verhuur:
Circa 662 m² totaal - verdeeld over 2 bouwlagen - onderverdeeld in:
Circa 630 m² kantoorruimte/showroom - begane grond
Circa 32 m² kantoorruimte - 1e verdieping
Circa 115 m² buitenruimte (patio) aan de voorzijde.
Parkeergelegenheid:
Ruime openbare betaalde parkeervoorzieningen in de directe omgeving.
Opleveringsniveau kantoorruimte/showroom:
• toegangshek tot patio buitenruimte
• brede draaideur naar binnenruimte
• verlichting middels hangende LED armaturen *
• daglichttoetreding middels ramen en lichtstraten
• zonnepanelen (12 stuks)
• houten/kunststof kozijnen voorzien van dubbele beglazing
• systeemplafond met inbouwverlichting op de verdieping *
• betonvloer voorzien van coating kantoortuin en vloerstoffering op de verdieping *
• vloerpotten en wandgoten met diverse aansluitingen voor data en elektra *
• huidige kamerindeling middels kantoortuin en spreekkamers
• alarminstallatie *
• glasvezelaansluiting
• brandblusvoorzieningen
• gescheiden dames- en heren toiletgroep met voorportaal voorzien van fonteintje
• pantry voorzien van apparatuur *
• verwarming / koeling middels luchtbehandelingssysteem en warmtepomp met radiatoren (2024)
• mechanische ventilatie
Zaken aangegeven met "*" worden eenmalig en omniet door Verhuurder aan Huurder ter beschikking gesteld. Eventuele reparatie, onderhoud en-/of vervangen van deze zaken komt voor rekening en risico van Huurder.
Opleveringsniveau terrein:
• Circa 115 m² buitenterrein (Patio) aan de voorzijde
• 100% bestraat met betonvloer
• afsluitbaar middels schuifpoort
Aanvaarding:
April 2026
Energielabel:
Het kantoorgebouw beschikt over het zeer gunstige energielabel A.
Hiermee voldoet het kantoorpand reeds ruimschoots aan de overheidsdoelstellingen waarbij vanaf 2023 alle utiliteitsgebouwen minimaal een energielabel C dienen te hebben.
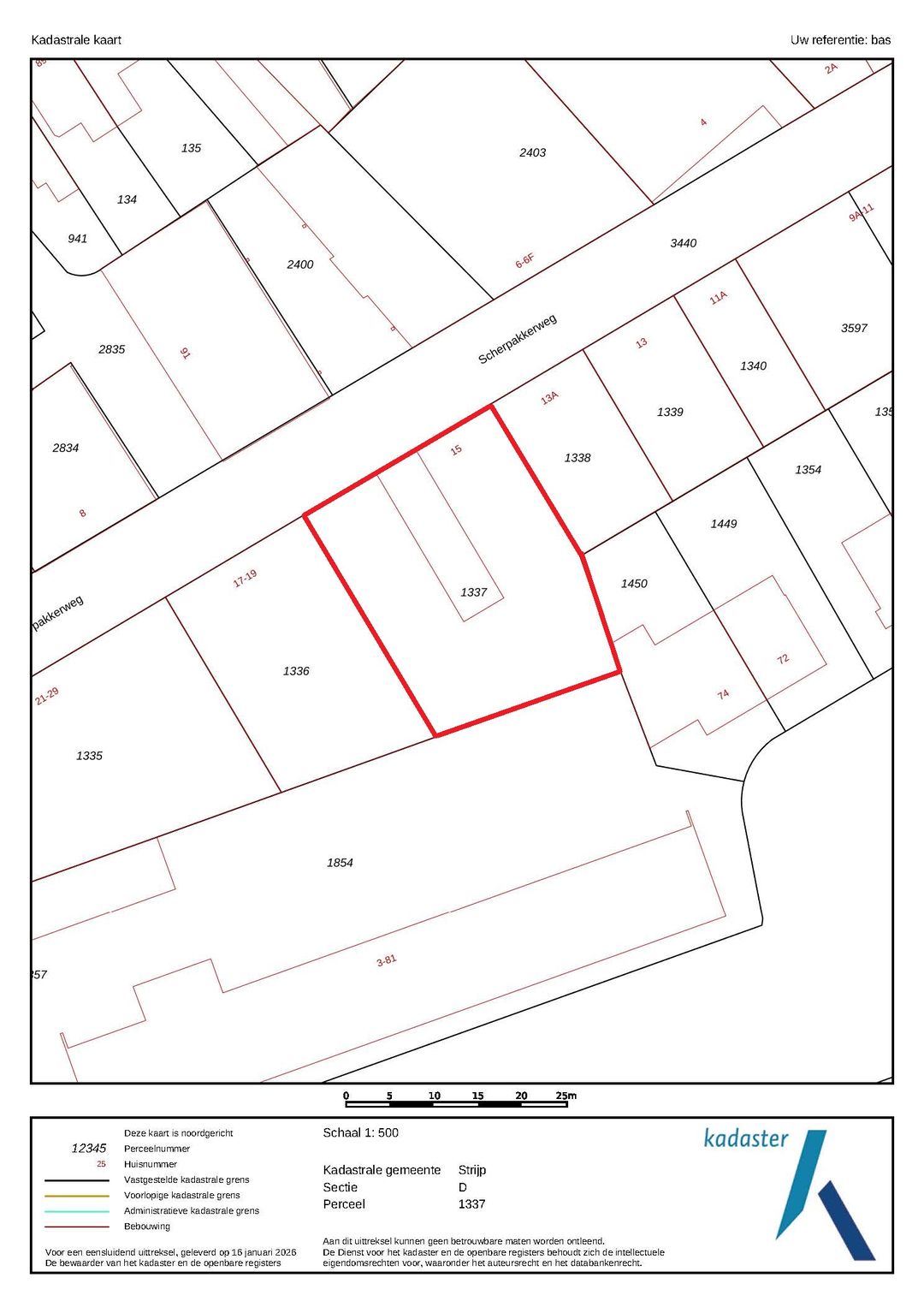
Kadastrale gegevens Scherpakkerweg 15 te Eindhoven:
Gemeente: Strijp
Sectie: D
Perceelnummer: 1337
Oppervlakte: 775 m² (geheel perceel)
Bestemmingsplan:
Het bestemmingsplan van dit kantoorgebouw aan de Scherpakkerweg 15 te Eindhoven op Bedrijventerrein Engelsbergen in stadsdeel Strijp is op te vragen via één van onze bedrijfsmakelaars bij Bossers & Fitters Bedrijfshuisvesting B.V. en/of via de website van het omgevingsloket.
Bouwjaar:
1960
Gerenoveerd:
2001
HUURGEGEVENS
Aanvangshuurprijs:
€ 95.000,00 per jaar te vermeerderen met de geldende B.T.W.
Huurtermijn:
Vijf (5) jaren.
Verlengingstermijn:
Telkens met vijf (5) jaar.
Opzegtermijn:
Twaalf (12) maanden voorafgaand aan de expiratiedatum.
Huurindexering:
De huurprijs van dit kantoorpand aan de Scherpakkerweg 15 te Eindhoven op Bedrijventerrein Engelsbergen in stadsdeel Strijp zal jaarlijks worden geïndexeerd, voor het eerst één jaar na huuringangsdatum, op basis van het maandprijsindexcijfer volgens de consumentenprijsindex CPI-alle huishoudens (2015=100), dan wel meest recente tijdsbasis, gepubliceerd door het Centraal Bureau voor de statistiek (CBS).
Zekerheidsstelling:
Bankgarantie of waarborgsom ter grootte van drie (3) maanden huur inclusief eventuele servicekosten en B.T.W.
Huurbetaling:
Per kwartaal vooruit te voldoen middels automatische incasso.
B.T.W.:
Indien huurder niet aan het “90% criterium” (aandeel belaste prestaties) voldoet, zal er van rechtswege sprake zijn van omzetbelasting vrijgestelde verhuur. Als dan wordt de overeengekomen kale huurprijs, exclusief omzetbelasting, zodanig verhoogd, dat het voor verhuurder ontstane financiële nadeel wordt gecompenseerd.
Huurcontract:
R.O.Z.-model, huurovereenkomst kantoorruimte en andere bedrijfsruimte in de zin van artikel 7:230a BW met de benodigde aanvullingen.
Meer informatie:
Wenst u meer informatie over deze beschikbare kantoorruimte welke te huur is in dit kantoorgebouw aan de Scherpakkerweg 15 te Eindhoven, neem dan vrijblijvend contact op met één van de bedrijfsmakelaars bij Bossers & Fitters Bedrijfshuisvesting B.V.
Onze bedrijfsmakelaar de heer B. Deitmers RM RT is van alle beschikbare informatie op de hoogte betreffende deze verhuur aan de Scherpakkerweg 15 te Eindhoven.
De te huur aangeboden hoogwaardige industriële kantoorruimte/showroom aan de Scherpakkerweg 15 te Eindhoven is gelegen in stadsdeel Strijp op het kleinschalige bedrijventerrein "Engelsbergen" aan de drukke binnenring ter hoogte van De Hurk. Zowel het snelwegennet als het centrum van Eindhoven zijn vanuit deze locatie zéér goed bereikbaar. De omgeving kenmerkt zich door de aanwezigheid van hoofdzakelijk kantoren, woningen, en winkels waaronder Albert Heijn XL.
Bereikbaarheid:
Bedrijventerrein Engelsbergen te Eindhoven is gelegen aan de noordwestkant van Eindhoven in Stadsdeel Strijp en heeft directe aansluiting met de A2/N2 en A58. Via de toegangswegen Anthony Fokkerweg en Tilburgseweg is het centrum zéér goed bereikbaar. Zowel de nieuwe ontwikkelingsgebieden Strijp-S, Strijp-T als Strijp-R zijn in dit stadsdeel gelegen. Diverse buslijnen waaronder de HOV-lijn zorgen voor een snelle verbinding met de Airport, het centrum en het Centraal Station Eindhoven.
OBJECTGEGEVENS
Beschikbare oppervlakte voor de verhuur:
Circa 662 m² totaal - verdeeld over 2 bouwlagen - onderverdeeld in:
Circa 630 m² kantoorruimte/showroom - begane grond
Circa 32 m² kantoorruimte - 1e verdieping
Circa 115 m² buitenruimte (patio) aan de voorzijde.
Parkeergelegenheid:
Ruime openbare betaalde parkeervoorzieningen in de directe omgeving.
Opleveringsniveau kantoorruimte/showroom:
• toegangshek tot patio buitenruimte
• brede draaideur naar binnenruimte
• verlichting middels hangende LED armaturen *
• daglichttoetreding middels ramen en lichtstraten
• zonnepanelen (12 stuks)
• houten/kunststof kozijnen voorzien van dubbele beglazing
• systeemplafond met inbouwverlichting op de verdieping *
• betonvloer voorzien van coating kantoortuin en vloerstoffering op de verdieping *
• vloerpotten en wandgoten met diverse aansluitingen voor data en elektra *
• huidige kamerindeling middels kantoortuin en spreekkamers
• alarminstallatie *
• glasvezelaansluiting
• brandblusvoorzieningen
• gescheiden dames- en heren toiletgroep met voorportaal voorzien van fonteintje
• pantry voorzien van apparatuur *
• verwarming / koeling middels luchtbehandelingssysteem en warmtepomp met radiatoren (2024)
• mechanische ventilatie
Zaken aangegeven met "*" worden eenmalig en omniet door Verhuurder aan Huurder ter beschikking gesteld. Eventuele reparatie, onderhoud en-/of vervangen van deze zaken komt voor rekening en risico van Huurder.
Opleveringsniveau terrein:
• Circa 115 m² buitenterrein (Patio) aan de voorzijde
• 100% bestraat met betonvloer
• afsluitbaar middels schuifpoort
Aanvaarding:
April 2026
Energielabel:
Het kantoorgebouw beschikt over het zeer gunstige energielabel A.
Hiermee voldoet het kantoorpand reeds ruimschoots aan de overheidsdoelstellingen waarbij vanaf 2023 alle utiliteitsgebouwen minimaal een energielabel C dienen te hebben.
Kadastrale gegevens Scherpakkerweg 15 te Eindhoven:
Gemeente: Strijp
Sectie: D
Perceelnummer: 1337
Oppervlakte: 775 m² (geheel perceel)
Bestemmingsplan:
Het bestemmingsplan van dit kantoorgebouw aan de Scherpakkerweg 15 te Eindhoven op Bedrijventerrein Engelsbergen in stadsdeel Strijp is op te vragen via één van onze bedrijfsmakelaars bij Bossers & Fitters Bedrijfshuisvesting B.V. en/of via de website van het omgevingsloket.
Bouwjaar:
1960
Gerenoveerd:
2001
HUURGEGEVENS
Aanvangshuurprijs:
€ 95.000,00 per jaar te vermeerderen met de geldende B.T.W.
Huurtermijn:
Vijf (5) jaren.
Verlengingstermijn:
Telkens met vijf (5) jaar.
Opzegtermijn:
Twaalf (12) maanden voorafgaand aan de expiratiedatum.
Huurindexering:
De huurprijs van dit kantoorpand aan de Scherpakkerweg 15 te Eindhoven op Bedrijventerrein Engelsbergen in stadsdeel Strijp zal jaarlijks worden geïndexeerd, voor het eerst één jaar na huuringangsdatum, op basis van het maandprijsindexcijfer volgens de consumentenprijsindex CPI-alle huishoudens (2015=100), dan wel meest recente tijdsbasis, gepubliceerd door het Centraal Bureau voor de statistiek (CBS).
Zekerheidsstelling:
Bankgarantie of waarborgsom ter grootte van drie (3) maanden huur inclusief eventuele servicekosten en B.T.W.
Huurbetaling:
Per kwartaal vooruit te voldoen middels automatische incasso.
B.T.W.:
Indien huurder niet aan het “90% criterium” (aandeel belaste prestaties) voldoet, zal er van rechtswege sprake zijn van omzetbelasting vrijgestelde verhuur. Als dan wordt de overeengekomen kale huurprijs, exclusief omzetbelasting, zodanig verhoogd, dat het voor verhuurder ontstane financiële nadeel wordt gecompenseerd.
Huurcontract:
R.O.Z.-model, huurovereenkomst kantoorruimte en andere bedrijfsruimte in de zin van artikel 7:230a BW met de benodigde aanvullingen.
Meer informatie:
Wenst u meer informatie over deze beschikbare kantoorruimte welke te huur is in dit kantoorgebouw aan de Scherpakkerweg 15 te Eindhoven, neem dan vrijblijvend contact op met één van de bedrijfsmakelaars bij Bossers & Fitters Bedrijfshuisvesting B.V.
Onze bedrijfsmakelaar de heer B. Deitmers RM RT is van alle beschikbare informatie op de hoogte betreffende deze verhuur aan de Scherpakkerweg 15 te Eindhoven.
Kenmerken
Overdracht
- Huurprijs
- € 95.000 per jaar
- Servicekosten
- Geen servicekosten bekend
- Aangeboden sinds
-
- Status
- Beschikbaar
- Aanvaarding
- Per direct beschikbaar
Bouw
- Hoofdfunctie
- Kantoor
- Soort bouw
- Bestaande bouw
- Bouwjaar
- 1960
Oppervlakten
- Oppervlakte
- 662 m²
- Perceel
- 775 m²
Indeling
- Aantal bouwlagen
- 2 bouwlagen
- Voorzieningen
- Mechanische ventilatie, te openen ramen, kabelgoten, systeemplafond, toilet, pantry en kamerindeling
Energie
- Energielabel
- Niet beschikbaar
Omgeving
- Ligging
- In woonwijk
Foto's