Kruisstraat 57 6171 GD Stein
€ 745.000 k.k.
Omschrijving
Dit woon-winkelobject wordt aangeboden door Heykens Makelaardij met:
- een presentatie video met interessante omgeving- en objectdetails
- uiteraard de uitvoerige foto rapportage incl. 360 tour en digitale plattegronden
- het zelf kunnen inplannen van een bezichtiging via ons plan systeem op onze eigen website.
- We raden het van harte aan al deze mogelijk door te nemen en er maximaal gebruik van te maken.
Beeldbepalend dertiger jaren woon-winkelobject op prominente zichtlocatie met door de gemengde bestemming veel mogelijkheden, met momenteel op de begane grond een riante ca. 335 m2 grote winkelruimte, nog ruim ca. 190 m2 overige inpandige (berg)ruimte, een appartement (maisonnette) verdeeld over de eerste en de tweede verdieping met ruim dakterras en dubbele ontsluiting, zowel inpandig als extern rechtstreeks toegankelijk. Het appartement heeft op de eerste verdieping een keuken, woonkamer en twee kamers en op de tweede verdieping een bovengemiddeld grote slaapkamer, alsmede royale badkamer en dat alles op een voor velen zeer bekende hoekligging in het centrum van Stein.
Ligging | locatie:
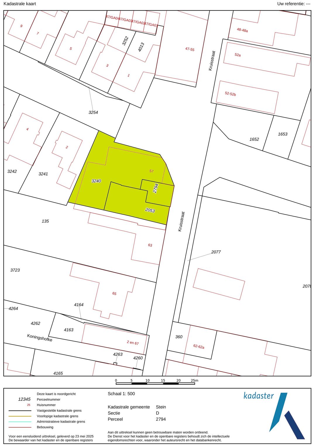
Op een fraaie hoek en zichtlocatie aan de rand van de Oud-Steinse winkelstraten is dit object gelegen, voor velen bekend als ligging op de weg van het winkelcentrum van Stein richting naar of van Meers. Ingedeeld over drie percelen bevat het totale grondoppervlak ca. 635 m2.
Van oudsher is er geheel links ter hoogte van de garagepoort nog een huisnummer 61 van toepassing geweest, waar er nu rechtstreekse toegang naar het berging gedeelte van het object aanwezig is. Tevens is hier nog een oude historische compacte woning aanwezig.
Te midden van de afgeschuinde hoek in de voorgevel is de entree naar de winkelruimte gelegen, voorzien van lisenen en op zolderniveau is een fraai getrapt topgeveltje te zien, hetgeen het geheel zijn unieke uitstraling geeft, net als de onder de bakgoot aanwezige decoratieve gemetselde lijsten.
Geheel rechts van het object is er een oprit aanwezig met wederom een ingang naar het berging gedeelte van het pand, maar met tevens een stalen trapopgang richting de bovenwoning (die tevens inpandig bereikbaar is).
Parkeren is veelvuldig aanwezig in de het straatbeeld, alsmede zijn er behoorlijke aantallen openbare parkeerplaatsen aanwezig.
Begane grond:
De winkelruimte die te midden van het geheel van start gaat beslaat ca. 335 m2 vloeroppervlak met nog eens ca. 190 m2 overig inpandige ruimte.
Er is een inpandige opgang naar het appartement, een traptoegang naar de kelder en inpandige doorgangen richting de bergingsruimten.
Geheel links is er te midden van de bergingen de historische basis aanwezig van het oude huisnummer 61 met en eigen trapopgang naar een bovenverdieping.
Eerste verdieping:
Het appartement verdeeld over de twee bovenste bouwlagen is inpandig en via de stalen buitentrap bereikbaar. Via de buitentrap is allereerst de buitenruimte bereikbaar en via de salon (slaap-\hobby)kamer wordt nu veelal de toegang gebruikt. De keuken heeft echter ook twee openslaande deuren voor toegang van en naar het dakterras.
De eerste verdieping heeft een centrale hal met toilet met fonteintje en verder een drietal kamers, waaronder 2 slaap-/hobbykamers, een woonkamer en een keuken. De keuken is opgesteld in hoek opstelling en voorzien van o.a. gasfornuis met afzuigkap, combi-magnetron, koelkast en vaatwasser.
Aan de historische kant is er in voormalig huisnummer 61 ook een opstal aanwezig met een eerste verdieping met een tweetal bergingsruimten.
Tweede verdieping:
Een magisch ruim bovenbereik met een echte master bedroom als eerste, speels in de spantenconstructie gelegen en met toegang naar een minstens zo riante badkamer met ruime inloopdouche, ligbad, dubbele wastafel en tweede toilet en met naastgelegen eigen walk-in-closet met hier tevens de opstelling van de C.V. ketel.
Souterrain:
Onder de winkelruimte gelegen kelderruimte met tevens de opstelling van de C.V. ketel.
Bestemming:
Er is een ‘Gemengd’ bestemming van toepassing in het vastgestelde bestemmingsplan d.d. 11-09-2013.
Enkele van de toegestane functies zijn:
Bedrijven van categorie 1 en 2;
Wonen
Detailhandel
Voor meer informatie kunt u de website van het Omgevingsloket raadplegen, bij de gemeente informeren en/of contact opnemen met ons kantoor.
Bijzonderheden:
Een geheel met maximaal veel potentie, mogelijkheden en dat alles gelegen op ca. 400 meter loopstand van het centrum van Stein, op steenworp afstand van de groene rand van Stein, Oud-Stein, fiets- en wandelgebieden en zelfs uitvalswegen richting snelwegen alsook een eigen snelweg oprit richting België is nabij.
Zien we u bij de bezichtigingen?
Meld u zich dan al digitaal en geef ons uw contactgegevens door via Funda, onze website of een van de andere websites waarop u de woning gevonden heeft.
Dan ontvangt u namelijk toegang tot alle informatie en de uitleg over het aanvragen van een van de beschikbare bezichtigingsmomenten via ons digitale planningsysteem.
Waardering beeldondersteunend bouwwerk of gebouw:
De gemeente heeft voor dit onroerend goed een waardering als beeldondersteunend bouwwerk of gebouw aangegeven. Het document inzake de beschrijving van het onroerend goed is beschikbaar in de digitale data omgeving.
Algemeen:
Deze woning wordt aangeboden door Heykens Makelaardij.
Ter bescherming van de belangen van zowel koper als verkoper, wordt uitdrukkelijk gesteld dat een koopovereenkomst met betrekking tot deze onroerende zaak eerst dan tot stand komt nadat koper en verkoper de koopovereenkomst hebben getekend (“schriftelijkheidsvereiste”).
Voorbehouden bij biedingen
Indien een koper bij het uitbrengen van een bod een voorbehoud wenst te maken – bijvoorbeeld ten aanzien van de financiering, maar ook bv. ten aanzien van de verkoop van de eigen woning – dient dit uitdrukkelijk en volledig bij het uitbrengen van het bod kenbaar te worden gemaakt. Een dergelijk voorbehoud vormt een onlosmakelijk onderdeel van de bieding en/of bereikte overeenstemming. Het achteraf toevoegen of wijzigen van voorbehouden en/of voorwaarden wordt beschouwd als een wijziging van de bieding dan wel van een reeds bereikte overeenstemming. Dergelijke wijzigingen behoeven nadrukkelijk géén goedkeuring van de verkoper en kunnen ertoe leiden dat verkoper de onderhandelingen of verkoop heroverweegt.
De termijn die wordt opgenomen voor eventuele (overeengekomen) ontbindende voorwaarden (bijvoorbeeld financiering) is in de regel 6 (bv. particuliere koper) tot maximaal 8 weken (bv. ondernemer als koper) na het sluiten van de mondelinge wilsovereenkomst. De hoogte van een eventueel financieringsvoorbehoud ligt hierbij normaliter op een maximale hoogte van de vraagprijs van de woning.
De waarborgsom | bankgarantie is 10 % van de koopsom. De koper dient deze uiterlijk 2 weken ná het vervallen van de (eventuele) ontbindende voorwaarden bij de desbetreffende notaris te deponeren.
Koper is te allen tijde gerechtigd voor eigen rekening een bouwkundige keuring te (laten) verrichten dan wel andere adviseurs te raadplegen teneinde een goed inzicht te verkrijgen over de staat van onderhoud. Koper dient bij het doen van een bod wel aan te geven of hij een dergelijk onderzoek wenst.
Deze informatie is door ons met de nodige zorgvuldigheid samengesteld. Onzerzijds wordt echter geen enkele aansprakelijkheid aanvaard voor enige onvolledigheid, onjuist of anderszins, dan wel de gevolgen daarvan. Alle opgegeven maten en oppervlakten zijn indicatief.
Van toepassing zijn de voorwaarden van Vastgoed Nederland.
- een presentatie video met interessante omgeving- en objectdetails
- uiteraard de uitvoerige foto rapportage incl. 360 tour en digitale plattegronden
- het zelf kunnen inplannen van een bezichtiging via ons plan systeem op onze eigen website.
- We raden het van harte aan al deze mogelijk door te nemen en er maximaal gebruik van te maken.
Beeldbepalend dertiger jaren woon-winkelobject op prominente zichtlocatie met door de gemengde bestemming veel mogelijkheden, met momenteel op de begane grond een riante ca. 335 m2 grote winkelruimte, nog ruim ca. 190 m2 overige inpandige (berg)ruimte, een appartement (maisonnette) verdeeld over de eerste en de tweede verdieping met ruim dakterras en dubbele ontsluiting, zowel inpandig als extern rechtstreeks toegankelijk. Het appartement heeft op de eerste verdieping een keuken, woonkamer en twee kamers en op de tweede verdieping een bovengemiddeld grote slaapkamer, alsmede royale badkamer en dat alles op een voor velen zeer bekende hoekligging in het centrum van Stein.
Ligging | locatie:
Op een fraaie hoek en zichtlocatie aan de rand van de Oud-Steinse winkelstraten is dit object gelegen, voor velen bekend als ligging op de weg van het winkelcentrum van Stein richting naar of van Meers. Ingedeeld over drie percelen bevat het totale grondoppervlak ca. 635 m2.
Van oudsher is er geheel links ter hoogte van de garagepoort nog een huisnummer 61 van toepassing geweest, waar er nu rechtstreekse toegang naar het berging gedeelte van het object aanwezig is. Tevens is hier nog een oude historische compacte woning aanwezig.
Te midden van de afgeschuinde hoek in de voorgevel is de entree naar de winkelruimte gelegen, voorzien van lisenen en op zolderniveau is een fraai getrapt topgeveltje te zien, hetgeen het geheel zijn unieke uitstraling geeft, net als de onder de bakgoot aanwezige decoratieve gemetselde lijsten.
Geheel rechts van het object is er een oprit aanwezig met wederom een ingang naar het berging gedeelte van het pand, maar met tevens een stalen trapopgang richting de bovenwoning (die tevens inpandig bereikbaar is).
Parkeren is veelvuldig aanwezig in de het straatbeeld, alsmede zijn er behoorlijke aantallen openbare parkeerplaatsen aanwezig.
Begane grond:
De winkelruimte die te midden van het geheel van start gaat beslaat ca. 335 m2 vloeroppervlak met nog eens ca. 190 m2 overig inpandige ruimte.
Er is een inpandige opgang naar het appartement, een traptoegang naar de kelder en inpandige doorgangen richting de bergingsruimten.
Geheel links is er te midden van de bergingen de historische basis aanwezig van het oude huisnummer 61 met en eigen trapopgang naar een bovenverdieping.
Eerste verdieping:
Het appartement verdeeld over de twee bovenste bouwlagen is inpandig en via de stalen buitentrap bereikbaar. Via de buitentrap is allereerst de buitenruimte bereikbaar en via de salon (slaap-\hobby)kamer wordt nu veelal de toegang gebruikt. De keuken heeft echter ook twee openslaande deuren voor toegang van en naar het dakterras.
De eerste verdieping heeft een centrale hal met toilet met fonteintje en verder een drietal kamers, waaronder 2 slaap-/hobbykamers, een woonkamer en een keuken. De keuken is opgesteld in hoek opstelling en voorzien van o.a. gasfornuis met afzuigkap, combi-magnetron, koelkast en vaatwasser.
Aan de historische kant is er in voormalig huisnummer 61 ook een opstal aanwezig met een eerste verdieping met een tweetal bergingsruimten.
Tweede verdieping:
Een magisch ruim bovenbereik met een echte master bedroom als eerste, speels in de spantenconstructie gelegen en met toegang naar een minstens zo riante badkamer met ruime inloopdouche, ligbad, dubbele wastafel en tweede toilet en met naastgelegen eigen walk-in-closet met hier tevens de opstelling van de C.V. ketel.
Souterrain:
Onder de winkelruimte gelegen kelderruimte met tevens de opstelling van de C.V. ketel.
Bestemming:
Er is een ‘Gemengd’ bestemming van toepassing in het vastgestelde bestemmingsplan d.d. 11-09-2013.
Enkele van de toegestane functies zijn:
Bedrijven van categorie 1 en 2;
Wonen
Detailhandel
Voor meer informatie kunt u de website van het Omgevingsloket raadplegen, bij de gemeente informeren en/of contact opnemen met ons kantoor.
Bijzonderheden:
Een geheel met maximaal veel potentie, mogelijkheden en dat alles gelegen op ca. 400 meter loopstand van het centrum van Stein, op steenworp afstand van de groene rand van Stein, Oud-Stein, fiets- en wandelgebieden en zelfs uitvalswegen richting snelwegen alsook een eigen snelweg oprit richting België is nabij.
Zien we u bij de bezichtigingen?
Meld u zich dan al digitaal en geef ons uw contactgegevens door via Funda, onze website of een van de andere websites waarop u de woning gevonden heeft.
Dan ontvangt u namelijk toegang tot alle informatie en de uitleg over het aanvragen van een van de beschikbare bezichtigingsmomenten via ons digitale planningsysteem.
Waardering beeldondersteunend bouwwerk of gebouw:
De gemeente heeft voor dit onroerend goed een waardering als beeldondersteunend bouwwerk of gebouw aangegeven. Het document inzake de beschrijving van het onroerend goed is beschikbaar in de digitale data omgeving.
Algemeen:
Deze woning wordt aangeboden door Heykens Makelaardij.
Ter bescherming van de belangen van zowel koper als verkoper, wordt uitdrukkelijk gesteld dat een koopovereenkomst met betrekking tot deze onroerende zaak eerst dan tot stand komt nadat koper en verkoper de koopovereenkomst hebben getekend (“schriftelijkheidsvereiste”).
Voorbehouden bij biedingen
Indien een koper bij het uitbrengen van een bod een voorbehoud wenst te maken – bijvoorbeeld ten aanzien van de financiering, maar ook bv. ten aanzien van de verkoop van de eigen woning – dient dit uitdrukkelijk en volledig bij het uitbrengen van het bod kenbaar te worden gemaakt. Een dergelijk voorbehoud vormt een onlosmakelijk onderdeel van de bieding en/of bereikte overeenstemming. Het achteraf toevoegen of wijzigen van voorbehouden en/of voorwaarden wordt beschouwd als een wijziging van de bieding dan wel van een reeds bereikte overeenstemming. Dergelijke wijzigingen behoeven nadrukkelijk géén goedkeuring van de verkoper en kunnen ertoe leiden dat verkoper de onderhandelingen of verkoop heroverweegt.
De termijn die wordt opgenomen voor eventuele (overeengekomen) ontbindende voorwaarden (bijvoorbeeld financiering) is in de regel 6 (bv. particuliere koper) tot maximaal 8 weken (bv. ondernemer als koper) na het sluiten van de mondelinge wilsovereenkomst. De hoogte van een eventueel financieringsvoorbehoud ligt hierbij normaliter op een maximale hoogte van de vraagprijs van de woning.
De waarborgsom | bankgarantie is 10 % van de koopsom. De koper dient deze uiterlijk 2 weken ná het vervallen van de (eventuele) ontbindende voorwaarden bij de desbetreffende notaris te deponeren.
Koper is te allen tijde gerechtigd voor eigen rekening een bouwkundige keuring te (laten) verrichten dan wel andere adviseurs te raadplegen teneinde een goed inzicht te verkrijgen over de staat van onderhoud. Koper dient bij het doen van een bod wel aan te geven of hij een dergelijk onderzoek wenst.
Deze informatie is door ons met de nodige zorgvuldigheid samengesteld. Onzerzijds wordt echter geen enkele aansprakelijkheid aanvaard voor enige onvolledigheid, onjuist of anderszins, dan wel de gevolgen daarvan. Alle opgegeven maten en oppervlakten zijn indicatief.
Van toepassing zijn de voorwaarden van Vastgoed Nederland.
Kenmerken
Overdracht
- Vraagprijs
- € 745.000 kosten koper
- Aangeboden sinds
-
- Status
- Beschikbaar
- Aanvaarding
- In overleg
Bouw
- Hoofdfunctie
- Winkel met showroom
- Mogelijke functie(s)
- Bedrijfsruimte
- Soort bouw
- Bestaande bouw
- Bouwjaar
- 1932
Oppervlakten
- Oppervlakte
- 337 m²
- Verkoopvloeroppervlakte
- 337 m²
- Perceel
- 455 m²
Indeling
- Aantal bouwlagen
- 1 bouwlaag
Energie
- Energielabel
- E
Omgeving
- Bijdrage winkeliersvereniging
- Nee
Foto's
Plattegrond
Begane grond
1e Verdieping
2e Verdieping
Kelder