Twentepoort West 7609 Almelo
Huurprijs op aanvraag
Omschrijving
Op het bedrijventerrein Twentepoort te Almelo op een prachtige locatie direct zichtbaar vanaf de A35 bieden wij deze nieuw te bouwen duurzame bedrijfsruimte met kantoorruimte aan voor de verhuur.
Het object beschikt daarnaast over een buitenterrein van circa 1.800 m². Dit terrein kan, indien gewenst, eveneens bij de huur worden betrokken. De mogelijkheden en voorwaarden worden in overleg afgestemd.
Indeling en oppervlakte
Bedrijfsruimte begane grond ca. 1.340 m²
Entree / Kantoorruimte / showroom begane grond ca. 225 m²
Kantoorruimte verdieping ca. 225 m²
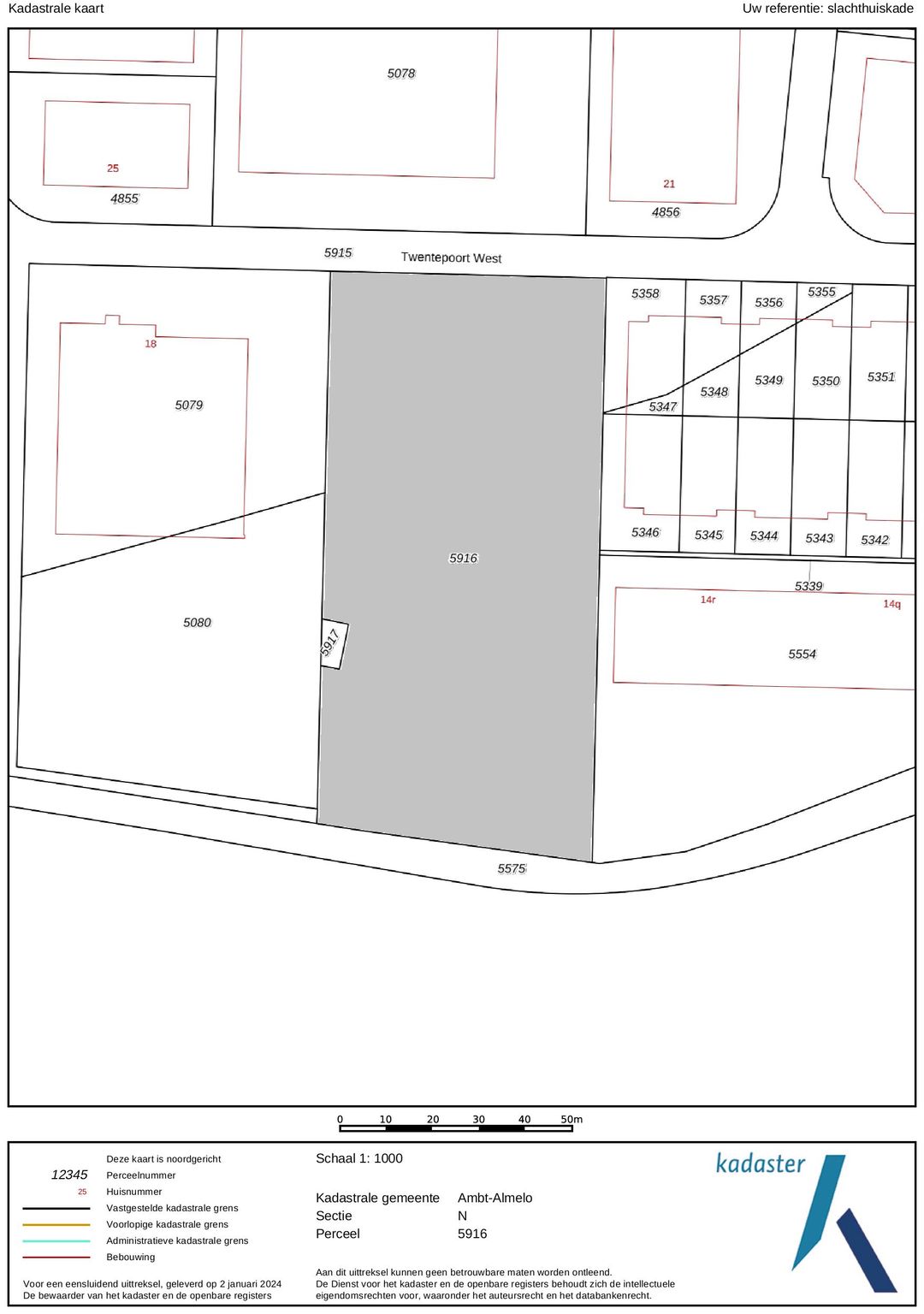
Kadastrale gegevens
Gemeente: Ambt - Almelo
Sectie: N
Nummer: 5916 (gedeeltelijk)
Locatie
Het object is gelegen op het bedrijvenpark Twentepoort, nabij de op- en afritten van de Rijksweg A35. De omliggende bebouwing bestaat uit diverse bedrijfscomplexen variërend in aard en omvang. Enkele gebruikers in de omgeving zijn: Diverse automotive bedrijven, Obimex, Adwise, Partspoint en Tecnotion.
Oplevering
De exacte indeling, afmeting en het opleveringsniveau zal in nader overleg worden bepaald.
Het object zal standaard worden opgeleverd inclusief de onderstaande voorzieningen:
Bedrijfsruimte:
- Elektrisch bedienbare overheaddeur;
- Vlakke betonvloer.
- Vrije hoogte ca. 9 meter;
- Ledverlichting;
- Krachtstroom;
- Vloerverwarming;
- Kraanbaan voorbereiding;
- Daglichttoetreding in de gevel;
Kantoorruimte:
- Systeemplafonds v.v. LED verlichtingsarmaturen;
- Verwarming middels vloerverwarming;
- Koeling;
- Sanitaire voorzieningen per bouwlaag;
- Pantry;
- Binnenwanden (in overleg);
- Elektra- en databekabeling.
Algemeen:
- Verharding middels klinkers.
Bereikbaarheid
Het object is gelegen op een mooie zichtlocatie op het bedrijventerrein Twentepoort direct aan de Rijksweg A35/A1 en is hierdoor uitstekend bereikbaar.
Parkeergelegenheid
7 beschikbare parkeerplaatsen aan de voorzijde van het pand.
Bestemmingsplan
Gelegen in het bestemmingsplan "Zuidentree" met vingerende enkelbestemming "Bedrijf -3.2".
Huurprijs
Bedrijfsruimte € 65,- per m² per jaar te vermeerderen met BTW.
Kantoorruimte € 130,- per m² per jaar te vermeerderen met BTW.
Parkeren € 200,- per parkeerplaats per jaar te vermeerderen met BTW.
Huurtermijn
In overleg, uitgangspunt is 5 jaar.
Opzegtermijn
12 maanden schriftelijk en aangetekend ten kantore van verhuurder.
Huurprijsaanpassing
Jaarlijks op basis van de consumentenprijsindex gepubliceerd door het Centraal Bureau voor de Statistiek (CBS), reeks alle huishoudens (2015=100).
Zekerheidstelling
Bankgarantie conform ROZ model of een waarborgsom ter grootte van een kwartaalverplichting.
Huurovereenkomst
Huurovereenkomst zal worden opgemaakt conform de ROZ model huurovereenkomst kantoorruimte en andere bedrijfsruimte in de zin van art. 7:230a BW.
Aanvaarding
In overleg, oplevering naar verwachting in Q3 2026
BTW
Verhuurder wenst te opteren voor BTW-belaste huur en verhuur. Ingeval huurder de BTW niet kan verrekenen zal de huurprijs in overleg met huurder worden verhoogd ter compensatie van de gevolgen van het vervallen van de mogelijkheid om te opteren voor BTW-belaste verhuur.
Voorbehoud
Definitieve goedkeuring opdrachtgever en/of verhuurder.
Informatie
Wij hebben getracht middels deze zorgvuldig samengestelde documentatie je zo uitgebreid mogelijk te informeren. Desondanks kunnen hieraan geen rechten worden ontleend. Slechts de feitelijke situatie geeft je een juist beeld.
Het object beschikt daarnaast over een buitenterrein van circa 1.800 m². Dit terrein kan, indien gewenst, eveneens bij de huur worden betrokken. De mogelijkheden en voorwaarden worden in overleg afgestemd.
Indeling en oppervlakte
Bedrijfsruimte begane grond ca. 1.340 m²
Entree / Kantoorruimte / showroom begane grond ca. 225 m²
Kantoorruimte verdieping ca. 225 m²
Kadastrale gegevens
Gemeente: Ambt - Almelo
Sectie: N
Nummer: 5916 (gedeeltelijk)
Locatie
Het object is gelegen op het bedrijvenpark Twentepoort, nabij de op- en afritten van de Rijksweg A35. De omliggende bebouwing bestaat uit diverse bedrijfscomplexen variërend in aard en omvang. Enkele gebruikers in de omgeving zijn: Diverse automotive bedrijven, Obimex, Adwise, Partspoint en Tecnotion.
Oplevering
De exacte indeling, afmeting en het opleveringsniveau zal in nader overleg worden bepaald.
Het object zal standaard worden opgeleverd inclusief de onderstaande voorzieningen:
Bedrijfsruimte:
- Elektrisch bedienbare overheaddeur;
- Vlakke betonvloer.
- Vrije hoogte ca. 9 meter;
- Ledverlichting;
- Krachtstroom;
- Vloerverwarming;
- Kraanbaan voorbereiding;
- Daglichttoetreding in de gevel;
Kantoorruimte:
- Systeemplafonds v.v. LED verlichtingsarmaturen;
- Verwarming middels vloerverwarming;
- Koeling;
- Sanitaire voorzieningen per bouwlaag;
- Pantry;
- Binnenwanden (in overleg);
- Elektra- en databekabeling.
Algemeen:
- Verharding middels klinkers.
Bereikbaarheid
Het object is gelegen op een mooie zichtlocatie op het bedrijventerrein Twentepoort direct aan de Rijksweg A35/A1 en is hierdoor uitstekend bereikbaar.
Parkeergelegenheid
7 beschikbare parkeerplaatsen aan de voorzijde van het pand.
Bestemmingsplan
Gelegen in het bestemmingsplan "Zuidentree" met vingerende enkelbestemming "Bedrijf -3.2".
Huurprijs
Bedrijfsruimte € 65,- per m² per jaar te vermeerderen met BTW.
Kantoorruimte € 130,- per m² per jaar te vermeerderen met BTW.
Parkeren € 200,- per parkeerplaats per jaar te vermeerderen met BTW.
Huurtermijn
In overleg, uitgangspunt is 5 jaar.
Opzegtermijn
12 maanden schriftelijk en aangetekend ten kantore van verhuurder.
Huurprijsaanpassing
Jaarlijks op basis van de consumentenprijsindex gepubliceerd door het Centraal Bureau voor de Statistiek (CBS), reeks alle huishoudens (2015=100).
Zekerheidstelling
Bankgarantie conform ROZ model of een waarborgsom ter grootte van een kwartaalverplichting.
Huurovereenkomst
Huurovereenkomst zal worden opgemaakt conform de ROZ model huurovereenkomst kantoorruimte en andere bedrijfsruimte in de zin van art. 7:230a BW.
Aanvaarding
In overleg, oplevering naar verwachting in Q3 2026
BTW
Verhuurder wenst te opteren voor BTW-belaste huur en verhuur. Ingeval huurder de BTW niet kan verrekenen zal de huurprijs in overleg met huurder worden verhoogd ter compensatie van de gevolgen van het vervallen van de mogelijkheid om te opteren voor BTW-belaste verhuur.
Voorbehoud
Definitieve goedkeuring opdrachtgever en/of verhuurder.
Informatie
Wij hebben getracht middels deze zorgvuldig samengestelde documentatie je zo uitgebreid mogelijk te informeren. Desondanks kunnen hieraan geen rechten worden ontleend. Slechts de feitelijke situatie geeft je een juist beeld.
Kenmerken
Overdracht
- Huurprijs
- Huurprijs op aanvraag
- Aangeboden sinds
-
- Status
- Beschikbaar
- Aanvaarding
- In overleg
Bouw
- Hoofdfunctie
- Bedrijfshal
- Soort bouw
- Bestaande bouw
- Bouwjaar
- 2024
Oppervlakten
- Oppervlakte
- 1.740 m²
- Bedrijfshal oppervlak
- 1.340 m²
- Kantoor oppervlak
- 400 m²
Indeling
- Aantal bouwlagen
- 2 bouwlagen
- Voorzieningen
- Overheaddeuren, krachtstroom en betonvloer
Energie
- Energielabel
- Niet verplicht
Omgeving
- Ligging
- Bedrijventerrein
- Bereikbaarheid
- Bushalte op 500 m tot 1000 m, NS Intercitystation op 3000 m tot 4000 m en snelwegafrit op 500 m tot 1000 m
Parkeergelegenheid
- Parkeerplaatsen
- 30 niet-overdekte parkeerplaatsen
- Parkeerkosten
- Vanaf € 200,- per parkeerplaats per jaar
NVM makelaar
Foto's